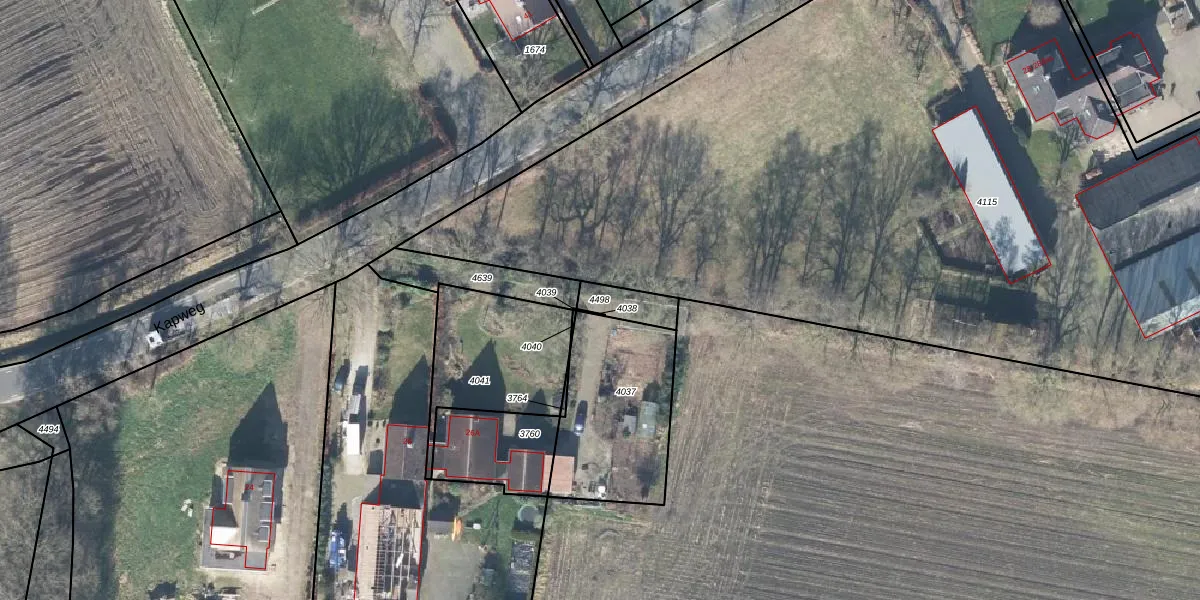
Perceel: GDR03-H-4498
KadastraleKaart.com kan meer dan je denktOntdek meer ›
Filter op bestemming 50+ datasets Eigendomsdata in één klik Percelen CRM
Geen adressen bij dit perceel
86 m2 - 44 m
Eigenaar opvragen
GDR03-H-4498 (Garderen)
- Geen postcode aanwezig
IMtsER0L7zWnRsdaZWKcTzPkoUpgrade naar KadastraleKaart Pro
Bekijk op Street View
Download DWG/DXF/Excel
lSejqLQ7eGt CLf2IRkqlUpgrade naar KadastraleKaart Pro
QQdjKJ sknZw5JcSLUpgrade naar KadastraleKaart Pro
3qBtxWUBG DITUVUpgrade naar KadastraleKaart Pro
OJ CwEd IUpgrade naar KadastraleKaart Pro
TMA dkAwUpgrade naar KadastraleKaart Pro
slP ALaHNteaRUpgrade naar KadastraleKaart Pro
EuBblJMY i7Upgrade naar KadastraleKaart Pro
mJumN3ebe ru cl0UymHUpgrade naar KadastraleKaart Pro
7oXbSQjSVwQ7VUpgrade naar KadastraleKaart Pro
IkPhBBvjjfGzLL5 gz3 OwxUpgrade naar KadastraleKaart Pro
08/09/2020

Percelen
Gebruik de zoekbalk of klik op een perceel om informatie over het perceel te bekijken.