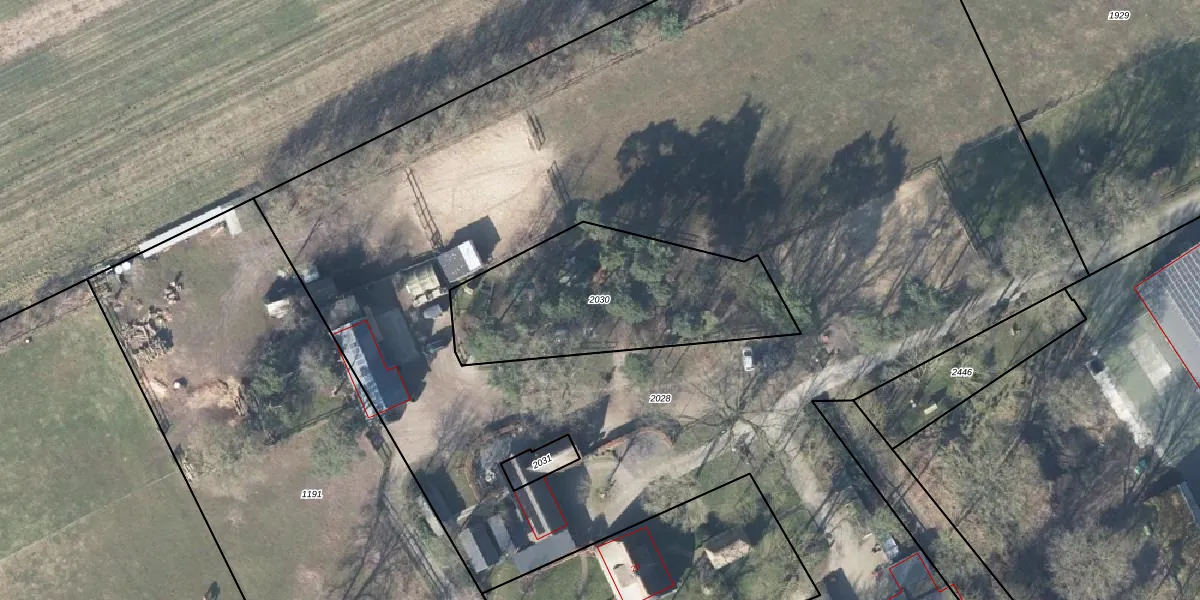
Perceel: GDR03-I-2030
KadastraleKaart.com kan meer dan je denktOntdek meer ›
Filter op bestemming 50+ datasets Eigendomsdata in één klik Percelen CRM
Geen adressen bij dit perceel
930 m2 - 140 m
Eigenaar opvragen
GDR03-I-2030 (Garderen)
- Geen postcode aanwezig
pz8jiBlOQ n j t c 3EHiUpgrade naar KadastraleKaart Pro
Bekijk op Street View
Download DWG/DXF/Excel
QppT7PkgdAzRUpgrade naar KadastraleKaart Pro
0yI2f 7S Zm7Upgrade naar KadastraleKaart Pro
UBM7xZbosUpgrade naar KadastraleKaart Pro
k 6OzjshiA KAd80vcUpgrade naar KadastraleKaart Pro
iv13LXbtUpgrade naar KadastraleKaart Pro
SuvwoXYUL7ZNAClRnUpgrade naar KadastraleKaart Pro
HG7o77seiHv5Upgrade naar KadastraleKaart Pro
ZBfrxWbRIPwL Upgrade naar KadastraleKaart Pro
dq9oLr dycTCqmUpgrade naar KadastraleKaart Pro
4X2gcZk7 MUpgrade naar KadastraleKaart Pro
07/06/2011

Percelen
Gebruik de zoekbalk of klik op een perceel om informatie over het perceel te bekijken.