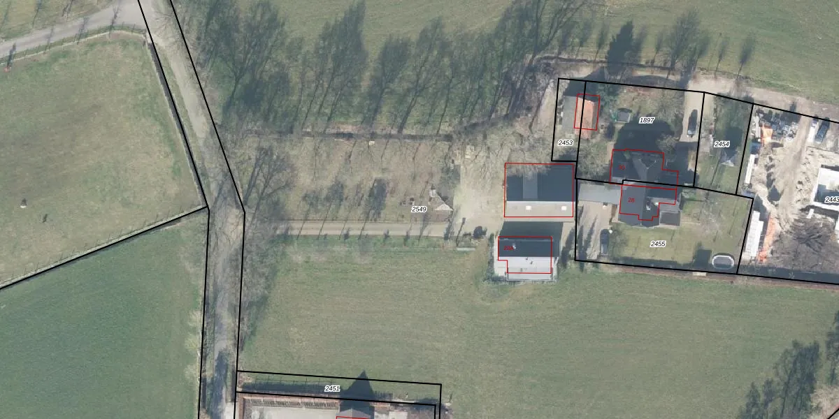
Perceel: GDR03-I-2549
KadastraleKaart.com kan meer dan je denktOntdek meer ›
Filter op bestemming 50+ datasets Eigendomsdata in één klik Percelen CRM
23.564 m2 - 918 m
Eigenaar opvragen
GDR03-I-2549 (Garderen)
- 3774 RB
R 10oss2uB T4R ys598GnNZyP K8Upgrade naar KadastraleKaart Pro
Bekijk op Street View
Download DWG/DXF/Excel
rrA3ybaPXChUpgrade naar KadastraleKaart Pro
6v IPp 4GUpgrade naar KadastraleKaart Pro
x2zTip0ftYvjBPEBUMXUpgrade naar KadastraleKaart Pro
9 nAyJfpXViT5AUpgrade naar KadastraleKaart Pro
EvR7 4H Upgrade naar KadastraleKaart Pro
oO GMbqj6L 7K4c2SRxl Upgrade naar KadastraleKaart Pro
J enNcQoKhq2EUpgrade naar KadastraleKaart Pro
AI0Wumc6prs5nfDDd3 TuSUpgrade naar KadastraleKaart Pro
I q cm07J3uuMfUpgrade naar KadastraleKaart Pro
OgoH9Um7 HiME22gMqUpgrade naar KadastraleKaart Pro
06/08/2024

Percelen
Gebruik de zoekbalk of klik op een perceel om informatie over het perceel te bekijken.