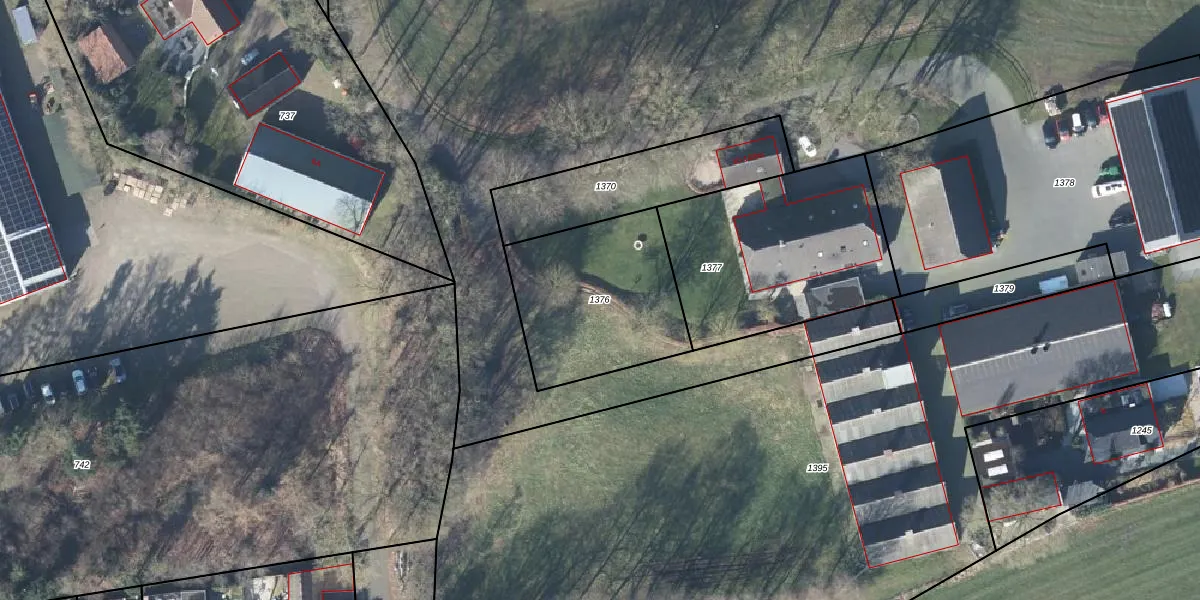
Perceel: GDR03-K-1376
KadastraleKaart.com kan meer dan je denktOntdek meer ›
Filter op bestemming 50+ datasets Eigendomsdata in één klik Percelen CRM
Geen adressen bij dit perceel
647 m2 - 103 m
Eigenaar opvragen
GDR03-K-1376 (Garderen)
- Geen postcode aanwezig
bkqC aEkqp4eZrN6l rRxyzaMYZnUpgrade naar KadastraleKaart Pro
Bekijk op Street View
Download DWG/DXF/Excel
rLfMG 8m t30nzvBrljye Upgrade naar KadastraleKaart Pro
qrS 1oWsLhFHN3 MCDIGkkUpgrade naar KadastraleKaart Pro
tpB1vBRGOB8FfUpgrade naar KadastraleKaart Pro
j8I96sErDFCNb0m5PXfEUpgrade naar KadastraleKaart Pro
LuB IwhaLEisd Upgrade naar KadastraleKaart Pro
43L5WoOHBqujh2rSqcUpgrade naar KadastraleKaart Pro
HMId2EFVlmKbCVMUpgrade naar KadastraleKaart Pro
uAIq3 yyWJUpgrade naar KadastraleKaart Pro
CDb7waDSo9q 6Upgrade naar KadastraleKaart Pro
PHt tEFfdESm05u4PPUpgrade naar KadastraleKaart Pro
07/03/2024

Percelen
Gebruik de zoekbalk of klik op een perceel om informatie over het perceel te bekijken.