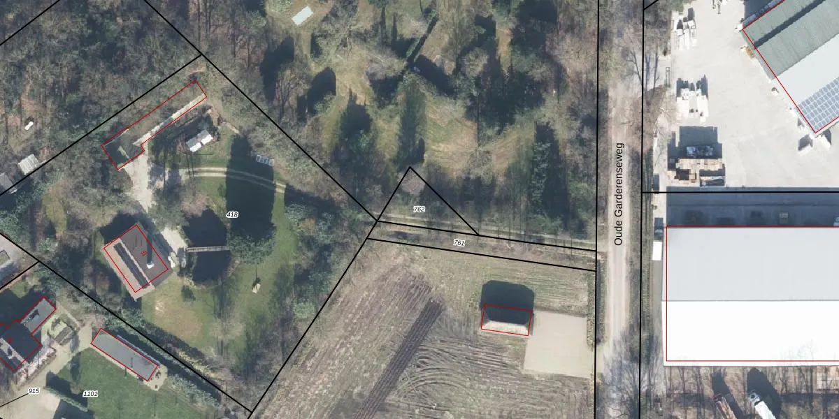
Perceel: GDR03-L-762
Geen adressen bij dit perceel
188 m2 - 63 m
Eigenaar opvragen
GDR03-L-762 (Garderen)
- Geen postcode aanwezig
58 7F dSvAciP RKTUpgrade naar KadastraleKaart Pro
Bekijk op Street View
Download DWG/DXF/Excel
RbqbF5BNxR6Upgrade naar KadastraleKaart Pro
AKHwZAZxK9 O Upgrade naar KadastraleKaart Pro
FjS8KgPyb5 6 rtUpgrade naar KadastraleKaart Pro
cNHYJyFc UPueIoPUpgrade naar KadastraleKaart Pro
oDYu sM5dA0z0Um3rSUpgrade naar KadastraleKaart Pro
2H43 9e51gAMtl7Upgrade naar KadastraleKaart Pro
KqaQlM7AKx2N Fz6TI0TWe3Upgrade naar KadastraleKaart Pro
XgGzej2nWaikH1LmUpgrade naar KadastraleKaart Pro
jKwwtpaYQBe2Upgrade naar KadastraleKaart Pro
8OW9NJlRNo lmmaBxD GQVUpgrade naar KadastraleKaart Pro
01/05/2001

Percelen
Gebruik de zoekbalk of klik op een perceel om informatie over het perceel te bekijken.