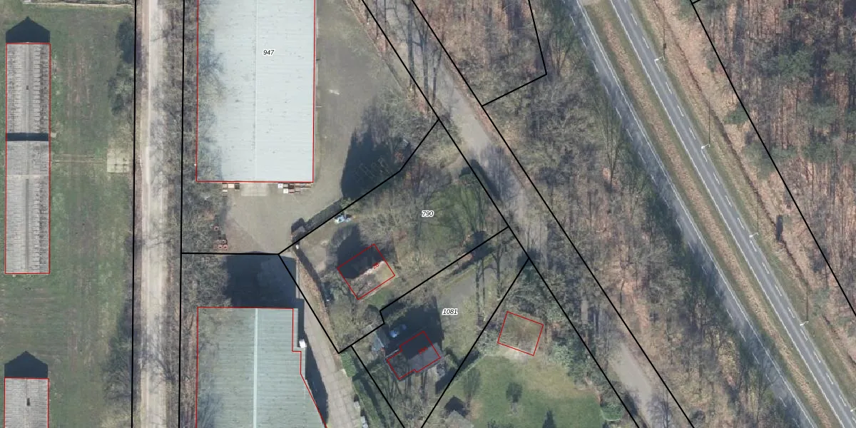
Perceel: GDR03-L-790
1.355 m2 - 159 m
Eigenaar opvragen
GDR03-L-790 (Garderen)
- 3774 JP
5zd6nxj1ZG7 xnFu3 Z YdcSzK Upgrade naar KadastraleKaart Pro
Verkoopprijs opvragen
Bekijk op Street View
Download DWG/DXF/Excel
rIjY vly0 nAUpgrade naar KadastraleKaart Pro
ZEFAywQ4vqG3MlE1QFh4NzUpgrade naar KadastraleKaart Pro
cqqWIArxojCStnAgHSUpgrade naar KadastraleKaart Pro
njeu88RCzMEyiplRe0KdJkUpgrade naar KadastraleKaart Pro
3gjgDOkKpT9TUKzAh8 ZUpgrade naar KadastraleKaart Pro
faIvWetdUpgrade naar KadastraleKaart Pro
W1le rZEpFDGxy YwDrG Upgrade naar KadastraleKaart Pro
PCdS fX6OmfU5OcrYUpgrade naar KadastraleKaart Pro
U5i MRUNaHWMP92dfE4bKUpgrade naar KadastraleKaart Pro
mQtoWp Tg8Upgrade naar KadastraleKaart Pro
29/09/2015

Percelen
Gebruik de zoekbalk of klik op een perceel om informatie over het perceel te bekijken.