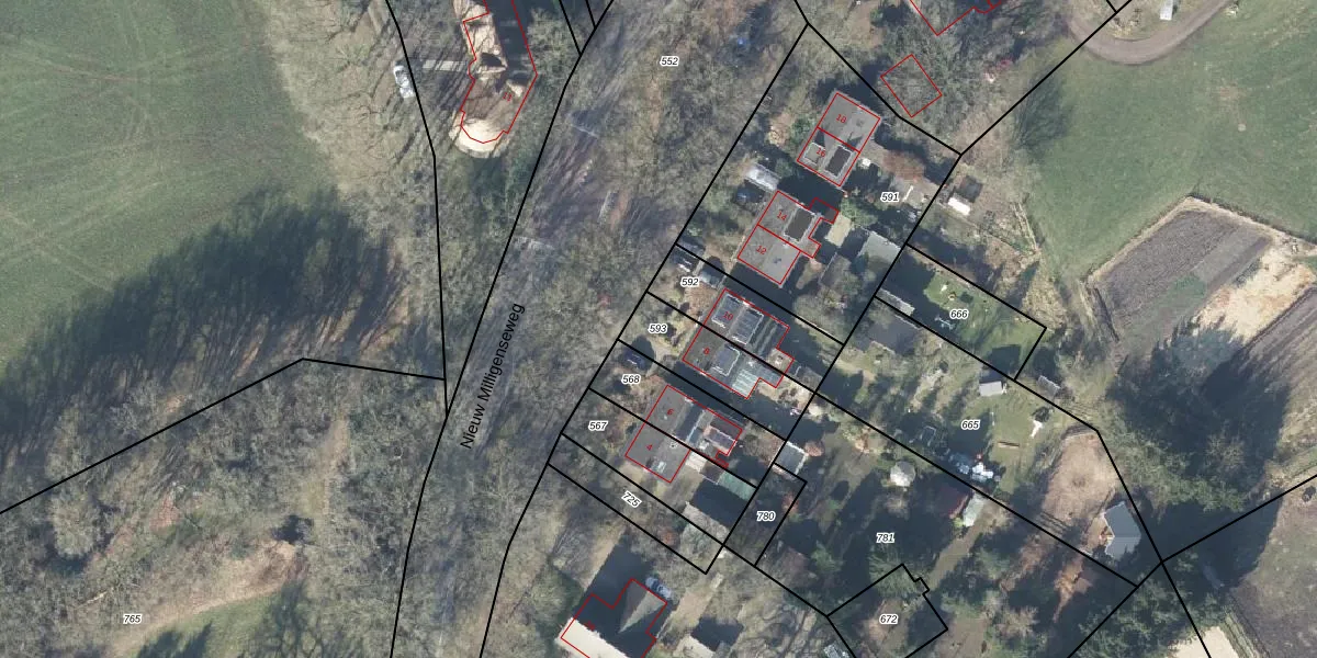
Perceel: GDR03-M-593
254 m2 - 77 m
Eigenaar opvragen
GDR03-M-593 (Garderen)
- 3775 KS
dSkVDnd d7KpzIybf0CEZ0DScttNLUpgrade naar KadastraleKaart Pro
Bekijk op Street View
Download DWG/DXF/Excel
RsrR7W b Upgrade naar KadastraleKaart Pro
vq 2bC82Naj2Upgrade naar KadastraleKaart Pro
34Y iHP4hyv6piUpgrade naar KadastraleKaart Pro
pfxBuWacQCGhRHexFoeUpgrade naar KadastraleKaart Pro
CL8dtStykX KUpgrade naar KadastraleKaart Pro
0YY18J 1drx bKpX8 e Upgrade naar KadastraleKaart Pro
wMy9 pnHy8HOA Z XvWW iaUpgrade naar KadastraleKaart Pro
J3I cAbBUpgrade naar KadastraleKaart Pro
EEU2GlrZQ wFV w Upgrade naar KadastraleKaart Pro
adm9uIjZoICNg1CRuUpgrade naar KadastraleKaart Pro
05/03/2010

Percelen
Gebruik de zoekbalk of klik op een perceel om informatie over het perceel te bekijken.