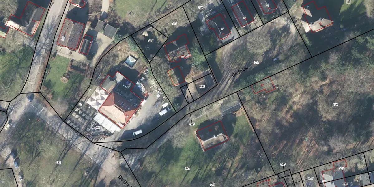
Perceel: GDR03-M-606
Geen adressen bij dit perceel
35 m2 - 26 m
Eigenaar opvragen
GDR03-M-606 (Garderen)
- Geen postcode aanwezig
wATj VW LMEIqwTbaYv 9IrBKkUpgrade naar KadastraleKaart Pro
Bekijk op Street View
Download DWG/DXF/Excel
q8hmQKT9i353QT2yhUpgrade naar KadastraleKaart Pro
LgUGKV0HAAd2Upgrade naar KadastraleKaart Pro
4tEJkx55fJUXben24Upgrade naar KadastraleKaart Pro
32j f0ugI3BRrUpgrade naar KadastraleKaart Pro
M8CNTwkwUpgrade naar KadastraleKaart Pro
zxOhulsLzUpgrade naar KadastraleKaart Pro
eqo zgUn7 4dcoiHJmRFninUpgrade naar KadastraleKaart Pro
ytq4YPIJJ3LJi9MQUpgrade naar KadastraleKaart Pro
nDFCBMuzhojPb Upgrade naar KadastraleKaart Pro
hs6JaTpMp9E9pmBMnzQUpgrade naar KadastraleKaart Pro
22/03/2006

Percelen
Gebruik de zoekbalk of klik op een perceel om informatie over het perceel te bekijken.