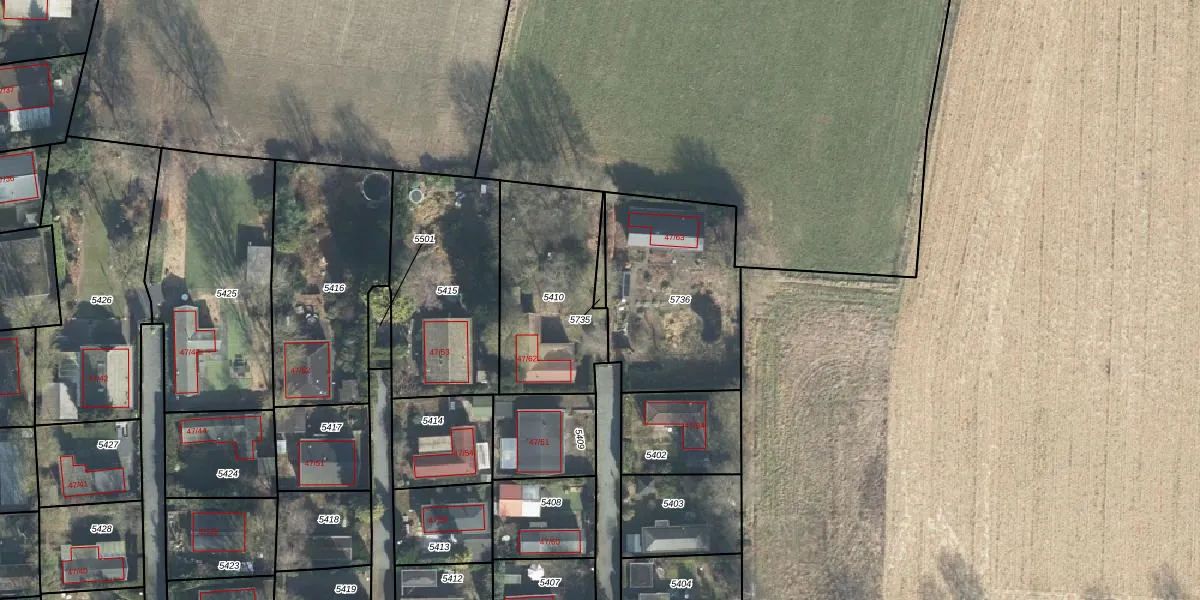
Perceel: GDR03-R-5735
Geen adressen bij dit perceel
23 m2 - 41 m
Eigenaar opvragen
GDR03-R-5735 (Garderen)
- Geen postcode aanwezig
PoqJWXGG1pyGEQD 4SFVSUr3 hpUpgrade naar KadastraleKaart Pro
Bekijk op Street View
Download DWG/DXF/Excel
8v xDGredON1j96vhUpgrade naar KadastraleKaart Pro
P6ANun9FW lUfwR93k6gUpgrade naar KadastraleKaart Pro
NsIgscaveMHb Upgrade naar KadastraleKaart Pro
LCNPTpINCwGCpj0DWfh Upgrade naar KadastraleKaart Pro
3aZMuN12boj8J T50hcGjUpgrade naar KadastraleKaart Pro
tFZ0KIbxjROfZ VKmUpgrade naar KadastraleKaart Pro
jBUuk12BprXG0fu5qV FpUpgrade naar KadastraleKaart Pro
2N0Twtq5h5ojrxTA 81SUpgrade naar KadastraleKaart Pro
k2nrNfv9dlGZcfMn Upgrade naar KadastraleKaart Pro
mX f8szmEhcigRWulzYXVUpgrade naar KadastraleKaart Pro
17/02/2023

Percelen
Gebruik de zoekbalk of klik op een perceel om informatie over het perceel te bekijken.