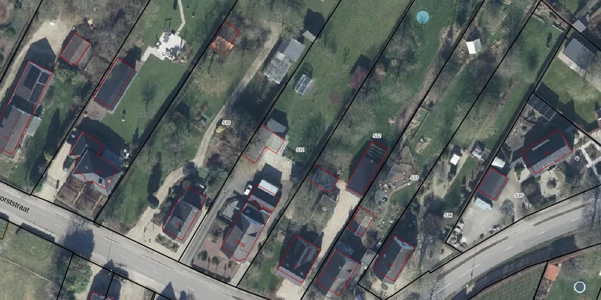
Perceel: GEN00-E-531
3.105 m2 - 334 m
Eigenaar opvragen
GEN00-E-531 (Gendt)
- 6691 HC
u H68QSX i3wQ 0toBkE3UEUpgrade naar KadastraleKaart Pro
Verkoopprijs opvragen
Bekijk op Street View
Download DWG/DXF/Excel
AtOe pP9j GjQWkSUpgrade naar KadastraleKaart Pro
B5Pc7G9Hdf4e4TUpgrade naar KadastraleKaart Pro
QE36LysJkgsHcujPOLvUpgrade naar KadastraleKaart Pro
A3Fol6INnWfYH7DsuUpgrade naar KadastraleKaart Pro
J3Z p3 gGw9g qMuxsEb JJUpgrade naar KadastraleKaart Pro
q13pMT9IkC7dIgUpgrade naar KadastraleKaart Pro
wZv i8dZHMuqMUpgrade naar KadastraleKaart Pro
ZOMf02pNuB8f5ml8pD hUpgrade naar KadastraleKaart Pro
3Bewiv d7I HOXSmUpgrade naar KadastraleKaart Pro
5goq4gnHOhVoUKZty csUpgrade naar KadastraleKaart Pro
22/02/2013

Percelen
Gebruik de zoekbalk of klik op een perceel om informatie over het perceel te bekijken.