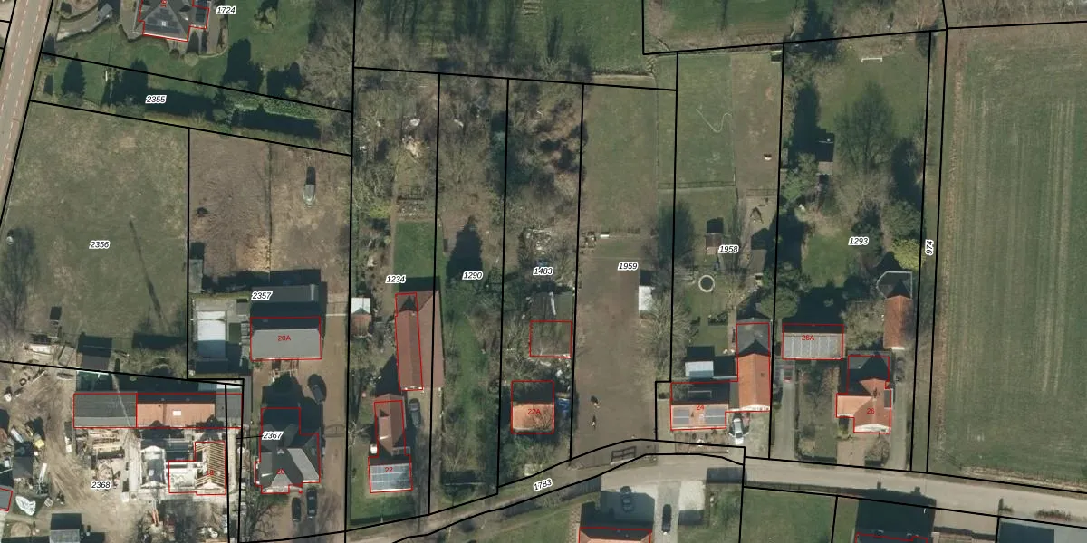
Perceel: GFN00-B-1483
KadastraleKaart.com kan meer dan je denktOntdek meer ›
Filter op bestemming 50+ datasets Eigendomsdata in één klik Percelen CRM
980 m2 - 173 m
Eigenaar opvragen
GFN00-B-1483 (Geffen)
- 5386 KP
bh2g5m gklu61Rfmtkh7MqUpgrade naar KadastraleKaart Pro
Bekijk op Street View
Download DWG/DXF/Excel
Y6t t QhbqtuUGm4rUpgrade naar KadastraleKaart Pro
PE0MBBIq2LUpgrade naar KadastraleKaart Pro
UlGPkL7BL3LSsnNpwP8Upgrade naar KadastraleKaart Pro
mkdD57pa0 QdsvF zl jnVUpgrade naar KadastraleKaart Pro
tnH n1gtbD9H3Upgrade naar KadastraleKaart Pro
YCcbo T NjdMdPJUpgrade naar KadastraleKaart Pro
qbDPl4 c RBWEwyzXyUpgrade naar KadastraleKaart Pro
f R07D6EMUpgrade naar KadastraleKaart Pro
u 14pYIzNY tUpgrade naar KadastraleKaart Pro
3nVO07qgQ i8Ng5PqUpgrade naar KadastraleKaart Pro
06/02/2009

Percelen
Gebruik de zoekbalk of klik op een perceel om informatie over het perceel te bekijken.