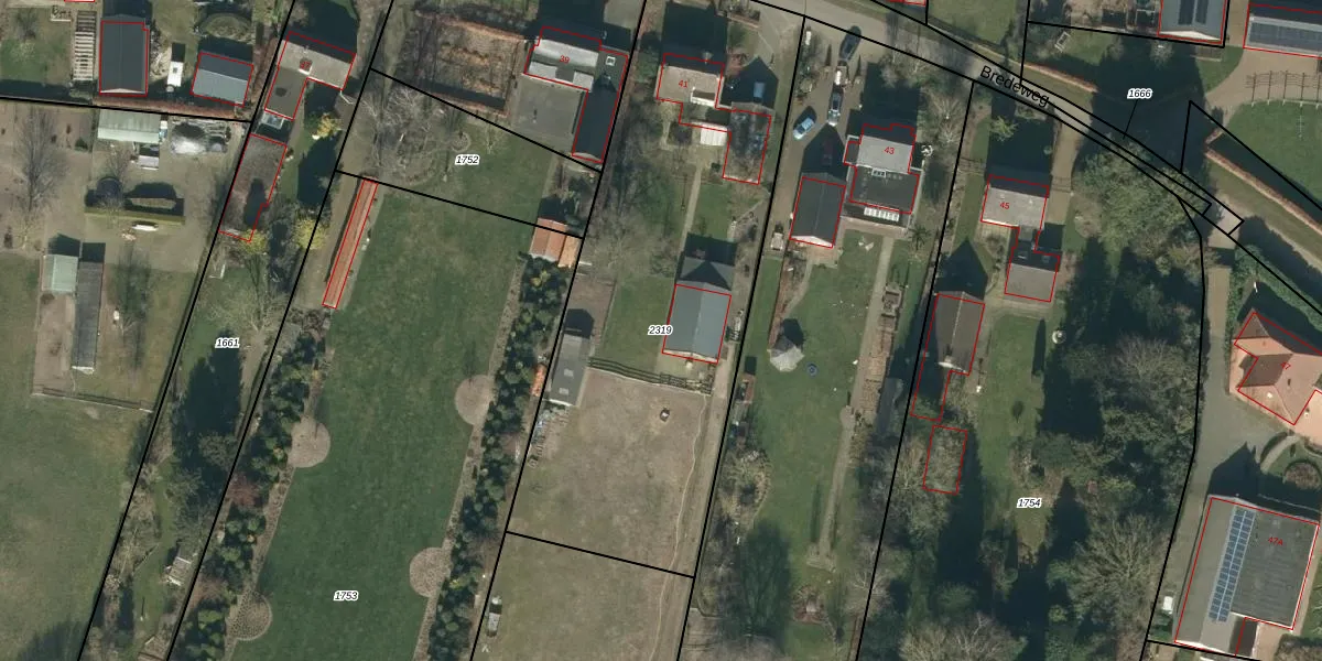
Perceel: GFN00-B-2319
KadastraleKaart.com kan meer dan je denktOntdek meer ›
Filter op bestemming 50+ datasets Eigendomsdata in één klik Percelen CRM
2.250 m2 - 229 m
Eigenaar opvragen
GFN00-B-2319 (Geffen)
- 5386 KN
i7yKvmd4 UqmSHPAcyUpgrade naar KadastraleKaart Pro
Bekijk op Street View
Download DWG/DXF/Excel
QBoZYbEwUpgrade naar KadastraleKaart Pro
FG7uU0CoVYn d nUpgrade naar KadastraleKaart Pro
2d ot9RzUpgrade naar KadastraleKaart Pro
Y 0Fc1HwZVK7DagqBmUpgrade naar KadastraleKaart Pro
OoI4ZQMHG XyS2HLMIUpgrade naar KadastraleKaart Pro
9s edLkWHJ0Upgrade naar KadastraleKaart Pro
wFQVMI4mqlXE6GouUpgrade naar KadastraleKaart Pro
4fc6IqdHidA nUpgrade naar KadastraleKaart Pro
GuO SXep rweNFyBf5j25KdUpgrade naar KadastraleKaart Pro
SMplB9kxtZNpUpgrade naar KadastraleKaart Pro
06/02/2009

Percelen
Gebruik de zoekbalk of klik op een perceel om informatie over het perceel te bekijken.