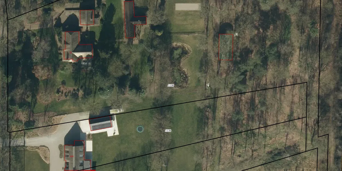
Perceel: GFN00-D-1138
16.695 m2 - 884 m
Eigenaar opvragen
GFN00-D-1138 (Geffen)
- 5386 KS
rhIq8CebJhTM9 WRE bRHaBMjYPikd Upgrade naar KadastraleKaart Pro
Bekijk op Street View
Download DWG/DXF/Excel
0d 9dNpLeogeHanSt5xeHpxUpgrade naar KadastraleKaart Pro
Tvb 4N3vWOP5SzJ WUpgrade naar KadastraleKaart Pro
nJkcFe0wToCUpgrade naar KadastraleKaart Pro
pcdRu0FZdVs2vmSRbhshq Upgrade naar KadastraleKaart Pro
zD6v pzywQnfTeMdQUpgrade naar KadastraleKaart Pro
hFMezxpTEqighKS088EIWUpgrade naar KadastraleKaart Pro
v5hgKMpPJt1SfW5Upgrade naar KadastraleKaart Pro
yHhT3qPzVjUpgrade naar KadastraleKaart Pro
tRYroOMlsT BkroUpgrade naar KadastraleKaart Pro
PgLYCCRkt6dH uRreaNJfhuUpgrade naar KadastraleKaart Pro
04/05/2012

Percelen
Gebruik de zoekbalk of klik op een perceel om informatie over het perceel te bekijken.