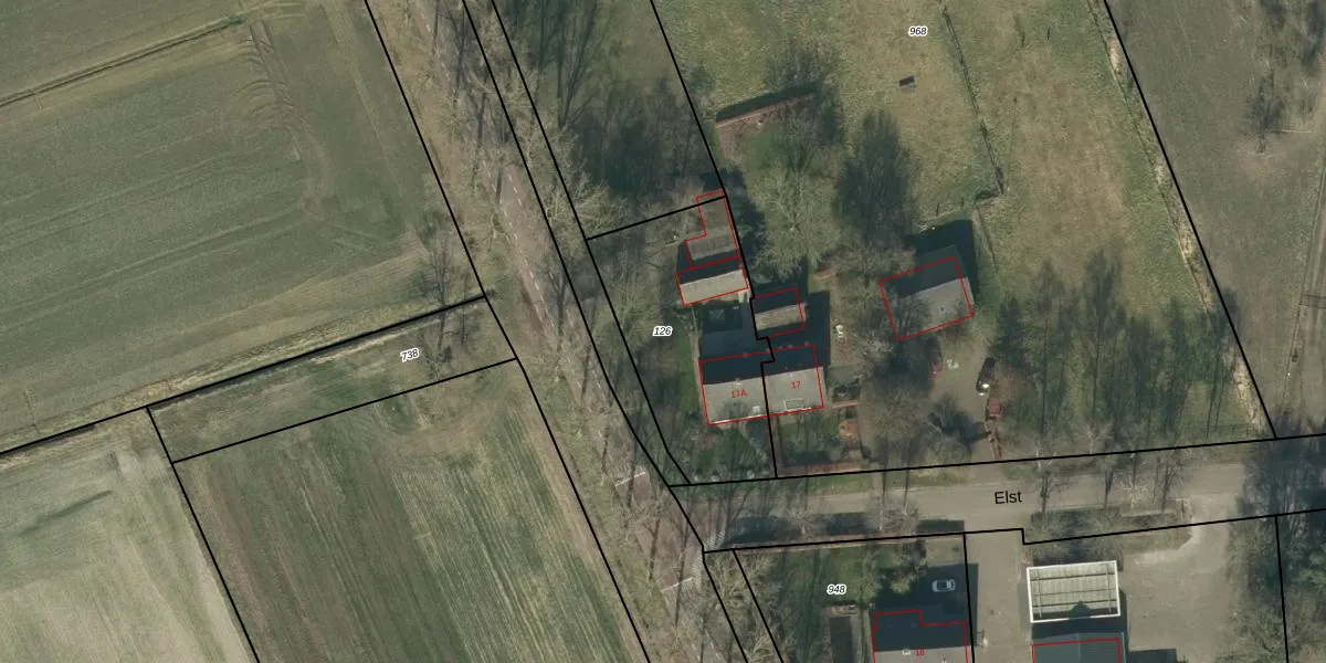
Perceel: GFN00-D-126
KadastraleKaart.com kan meer dan je denktOntdek meer ›
Filter op bestemming 50+ datasets Eigendomsdata in één klik Percelen CRM
790 m2 - 123 m
Eigenaar opvragen
GFN00-D-126 (Geffen)
- 5386 KB
MfYVRYKxugD B AC5ds GS9fcqUpgrade naar KadastraleKaart Pro
Bekijk op Street View
Download DWG/DXF/Excel
e1CJTh d8lo6GFemWBDxq eUpgrade naar KadastraleKaart Pro
tY90xorfrChUpgrade naar KadastraleKaart Pro
omZlfgbmdihUpgrade naar KadastraleKaart Pro
K7S4 8h FnggfoDUpgrade naar KadastraleKaart Pro
avTpsfOH Upgrade naar KadastraleKaart Pro
iclvQTk5Upgrade naar KadastraleKaart Pro
juriyNEUGceUpgrade naar KadastraleKaart Pro
i Nk51pvoTPOLmaKUpgrade naar KadastraleKaart Pro
huguzpWfZ8YUpgrade naar KadastraleKaart Pro
s QeTE6e1JcmT0Y4bUpgrade naar KadastraleKaart Pro
24/06/2009

Percelen
Gebruik de zoekbalk of klik op een perceel om informatie over het perceel te bekijken.