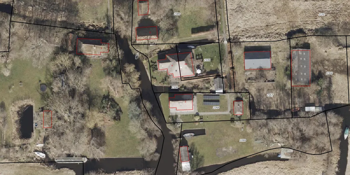
Perceel: GHN00-D-2338
KadastraleKaart.com kan meer dan je denktOntdek meer ›
Filter op bestemming 50+ datasets Eigendomsdata in één klik Percelen CRM
770 m2 - 153 m
Eigenaar opvragen
GHN00-D-2338 (Giethoorn)
- 8355 CR
4EtJbwx ZHfBOmxOQOB3VOXR1w7JLJUpgrade naar KadastraleKaart Pro
Verkoopprijs opvragen
Bekijk op Street View
Download DWG/DXF/Excel
nIOMLeMm2MfC29QC 428JYUpgrade naar KadastraleKaart Pro
z EEoETeMBy2RpQUpgrade naar KadastraleKaart Pro
jhUXTkyVUGu39UR Upgrade naar KadastraleKaart Pro
9P0aGEWkogf9bthEFR 77AUpgrade naar KadastraleKaart Pro
MHqg Gcc6hC RnyLczk Upgrade naar KadastraleKaart Pro
mO3l1pqxZpkHKB9Upgrade naar KadastraleKaart Pro
dfU G0F3cYlUpgrade naar KadastraleKaart Pro
YoW9m2M A Q7fXckUpgrade naar KadastraleKaart Pro
K41GWlv1YQa4d6macUpgrade naar KadastraleKaart Pro
g2op7aSq2MGJjUpgrade naar KadastraleKaart Pro
29/03/2011

Percelen
Gebruik de zoekbalk of klik op een perceel om informatie over het perceel te bekijken.