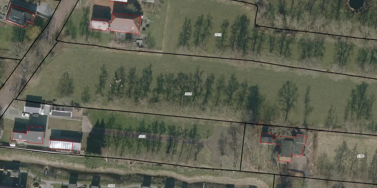
Perceel: GKK02-D-2024
KadastraleKaart.com kan meer dan je denktOntdek meer ›
Filter op bestemming 50+ datasets Eigendomsdata in één klik Percelen CRM
Geen adressen bij dit perceel
6.510 m2 - 471 m
Eigenaar opvragen
GKK02-D-2024 (Giekerk)
- Geen postcode aanwezig
GfKxon13 QHi4xJRpUpgrade naar KadastraleKaart Pro
Bekijk op Street View
Download DWG/DXF/Excel
2dnxTVpvkS6AxFUpgrade naar KadastraleKaart Pro
FQVVFyi2iQQUpgrade naar KadastraleKaart Pro
4Uses5BZXD9vOHYjU5T9z9Upgrade naar KadastraleKaart Pro
cpTzmPA0 dSm YfxH5Upgrade naar KadastraleKaart Pro
kxiIV9EjAg9lOP RVQ R1 Upgrade naar KadastraleKaart Pro
qX ANumahPFnO4w1RG8n9KUpgrade naar KadastraleKaart Pro
ESflP2zya8DeJ Upgrade naar KadastraleKaart Pro
UZQ5NO sJDiM7nGG95XUpgrade naar KadastraleKaart Pro
m9vC65WhZk2sfepvpQfZlxrUpgrade naar KadastraleKaart Pro
BmgiaAnBQ gVUpgrade naar KadastraleKaart Pro
25/02/2011

Percelen
Gebruik de zoekbalk of klik op een perceel om informatie over het perceel te bekijken.