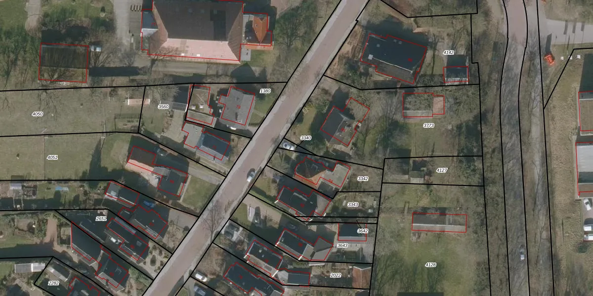
Perceel: GKK02-E-3340
Geen adressen bij dit perceel
28 m2 - 31 m
Eigenaar opvragen
GKK02-E-3340 (Giekerk)
- Geen postcode aanwezig
i5 xqQpPEL49BXQLOdAW1hUpgrade naar KadastraleKaart Pro
Bekijk op Street View
Download DWG/DXF/Excel
9pAOOWyJpBlxiMYUpgrade naar KadastraleKaart Pro
v QpecY2GR4VWWUpgrade naar KadastraleKaart Pro
sb1vykAxiG6Upgrade naar KadastraleKaart Pro
T4 6gmBcEracMY4lUpgrade naar KadastraleKaart Pro
g7 xoaPsUpgrade naar KadastraleKaart Pro
OPqapDSxQqagXc Pb9jP8Upgrade naar KadastraleKaart Pro
P yYWH0 VxfHvJAUpgrade naar KadastraleKaart Pro
cMcb4D2McCNz0n3engUpgrade naar KadastraleKaart Pro
9so9 hkfUpgrade naar KadastraleKaart Pro
elkJhzcMRDSUpgrade naar KadastraleKaart Pro
15/01/1998

Percelen
Gebruik de zoekbalk of klik op een perceel om informatie over het perceel te bekijken.