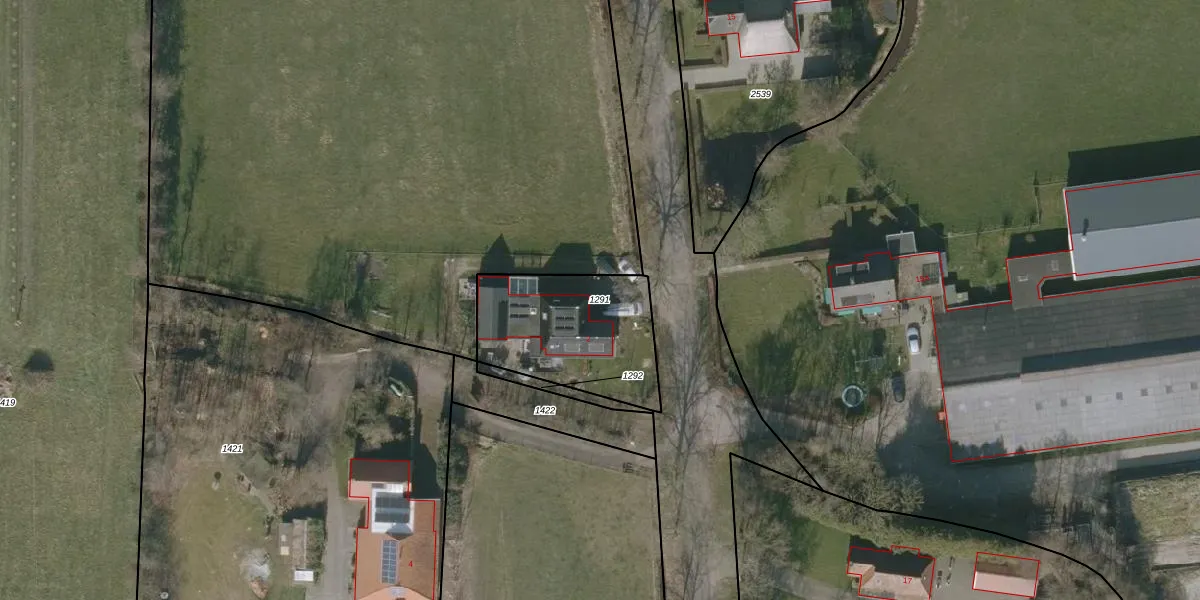
Perceel: GKK02-F-1291
KadastraleKaart.com kan meer dan je denktOntdek meer ›
Filter op bestemming 50+ datasets Eigendomsdata in één klik Percelen CRM
550 m2 - 98 m
Eigenaar opvragen
GKK02-F-1291 (Giekerk)
- 9063 DX
z AtVIDjcXzb4RRN3GQ1yUpgrade naar KadastraleKaart Pro
Verkoopprijs opvragen
Bekijk op Street View
Download DWG/DXF/Excel
xgSVsUCB6bxUpgrade naar KadastraleKaart Pro
HEQLEtsbDOLsFNC w PfUpgrade naar KadastraleKaart Pro
WXqAyD2nqqs0gWPs GmD 7Upgrade naar KadastraleKaart Pro
e7GdJNnnIUpgrade naar KadastraleKaart Pro
bhiLPZO W7E7hOcriUpgrade naar KadastraleKaart Pro
mURTArcnUpgrade naar KadastraleKaart Pro
LpETFTaXIUpgrade naar KadastraleKaart Pro
zPxrGf pjUpgrade naar KadastraleKaart Pro
ohy7diQaUg6HLOKhWZJUpgrade naar KadastraleKaart Pro
IufEbfDNi 5FrS O 7jGEUpgrade naar KadastraleKaart Pro
15/01/1998

Percelen
Gebruik de zoekbalk of klik op een perceel om informatie over het perceel te bekijken.