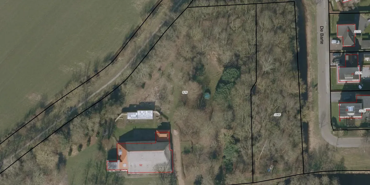
Perceel: GKK02-F-826
KadastraleKaart.com kan meer dan je denktOntdek meer ›
Filter op bestemming 50+ datasets Eigendomsdata in één klik Percelen CRM
9.685 m2 - 460 m
Eigenaar opvragen
GKK02-F-826 (Giekerk)
- 9061 CD
ZISuqcJiqzo7M4sDSKUpgrade naar KadastraleKaart Pro
Bekijk op Street View
Download DWG/DXF/Excel
UMmpVL 4FW1MAicA Upgrade naar KadastraleKaart Pro
btz3cAbv9S6q5ohbTkUpgrade naar KadastraleKaart Pro
wKLfJUK1WoLUpgrade naar KadastraleKaart Pro
yWwqufmXz6b 4NcBFO Upgrade naar KadastraleKaart Pro
ypvZJ M8I6aGS2i r3KMBUpgrade naar KadastraleKaart Pro
dSZb2 aq q4Upgrade naar KadastraleKaart Pro
T GC1P LkxUl3Upgrade naar KadastraleKaart Pro
hrADg9 yClv2r Upgrade naar KadastraleKaart Pro
3f5p sDHiqlB DjUpgrade naar KadastraleKaart Pro
uHa64mAf2N3w4ZMKLzUpgrade naar KadastraleKaart Pro
16/04/2008

Percelen
Gebruik de zoekbalk of klik op een perceel om informatie over het perceel te bekijken.