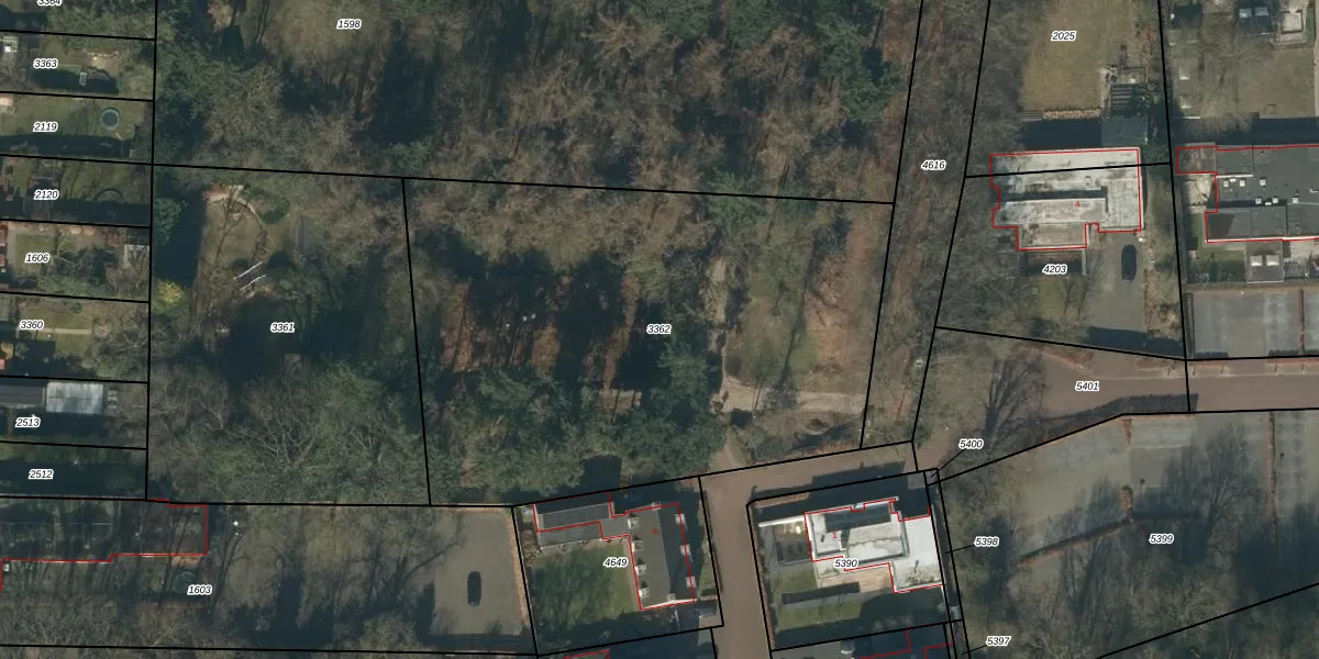
Perceel: GLE01-A-3362
Geen adressen bij dit perceel
3.091 m2 - 228 m
Eigenaar opvragen
GLE01-A-3362 (Goirle)
- Geen postcode aanwezig
3Df6UgR oWLSdwoAbd68iUpgrade naar KadastraleKaart Pro
Bekijk op Street View
Download DWG/DXF/Excel
7vst fqsbpu0kGUpgrade naar KadastraleKaart Pro
wmRBpFEPlv34avUpgrade naar KadastraleKaart Pro
iucLpAWI3eUpgrade naar KadastraleKaart Pro
Wt ZrQGPtQesQTeShUpgrade naar KadastraleKaart Pro
GQccApQgV3aomtiWUpgrade naar KadastraleKaart Pro
myyvHOslpcDScUpgrade naar KadastraleKaart Pro
muXYrP tDoeotSkRovvUpgrade naar KadastraleKaart Pro
xHXlSDnvvF 9Upgrade naar KadastraleKaart Pro
n7 xKnWpx J Qp wrVUpgrade naar KadastraleKaart Pro
sMaHZEhCvsziYoSQ 3Upgrade naar KadastraleKaart Pro
25/05/2016

Percelen
Gebruik de zoekbalk of klik op een perceel om informatie over het perceel te bekijken.