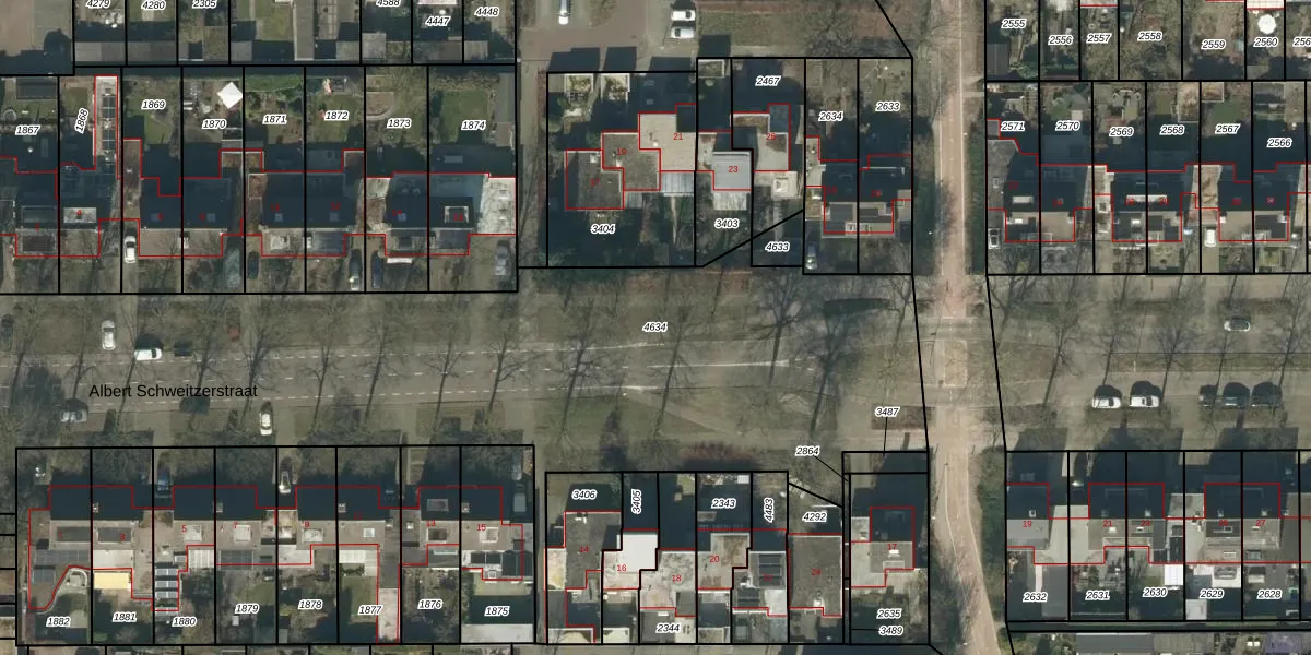
Perceel: GLE01-A-4634
KadastraleKaart.com kan meer dan je denktOntdek meer ›
Filter op bestemming 50+ datasets Eigendomsdata in één klik Percelen CRM
Geen adressen bij dit perceel
4.575 m2 - 474 m
Eigenaar opvragen
GLE01-A-4634 (Goirle)
- Geen postcode aanwezig
8 u8EYD9LQ2e35mpFcSWqrCYD1M0FNeUpgrade naar KadastraleKaart Pro
Bekijk op Street View
Download DWG/DXF/Excel
BKNZ2RIOUpgrade naar KadastraleKaart Pro
hWyvc AR9lbkNS5aSUpgrade naar KadastraleKaart Pro
qJ04e19zYT8VVgDA42 p Upgrade naar KadastraleKaart Pro
BvSr49VqTloFUpgrade naar KadastraleKaart Pro
2MyT8ef16diEUpgrade naar KadastraleKaart Pro
JfBcAlTHOInKXQUpgrade naar KadastraleKaart Pro
tdAjmMr7iNCy 3 7qfy2q9HUpgrade naar KadastraleKaart Pro
lRLKNhA9vu8DUpgrade naar KadastraleKaart Pro
3dol0j7sy63d3aj8xP3UOz Upgrade naar KadastraleKaart Pro
CT CG5McyUpgrade naar KadastraleKaart Pro
16/02/2016

Percelen
Gebruik de zoekbalk of klik op een perceel om informatie over het perceel te bekijken.