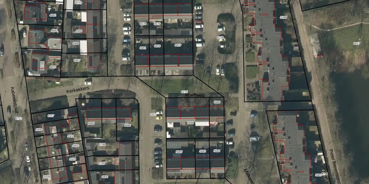
Perceel: GLE01-B-6275
KadastraleKaart.com kan meer dan je denktOntdek meer ›
Filter op bestemming 50+ datasets Eigendomsdata in één klik Percelen CRM
Geen adressen bij dit perceel
387 m2 - 104 m
Eigenaar opvragen
GLE01-B-6275 (Goirle)
- Geen postcode aanwezig
9KJ N W9eKchJEga2udRBMUpgrade naar KadastraleKaart Pro
Bekijk op Street View
Download DWG/DXF/Excel
ZfpDaIY6SbLgmUpgrade naar KadastraleKaart Pro
8S sxIaSpnGCAutWXECaPUpgrade naar KadastraleKaart Pro
olrIT yw1KUpgrade naar KadastraleKaart Pro
gtb ZT30RPuUpgrade naar KadastraleKaart Pro
l 0MMI8x5 Upgrade naar KadastraleKaart Pro
lxv seb e3n A85MJFgw tQUpgrade naar KadastraleKaart Pro
vqbLbVK1gqGkXnls0q9 WnUpgrade naar KadastraleKaart Pro
dp vw0B5Upgrade naar KadastraleKaart Pro
k1f4 PdsDZ97OvYUpgrade naar KadastraleKaart Pro
kL9t5POLu2 Upgrade naar KadastraleKaart Pro
20/08/2008

Percelen
Gebruik de zoekbalk of klik op een perceel om informatie over het perceel te bekijken.