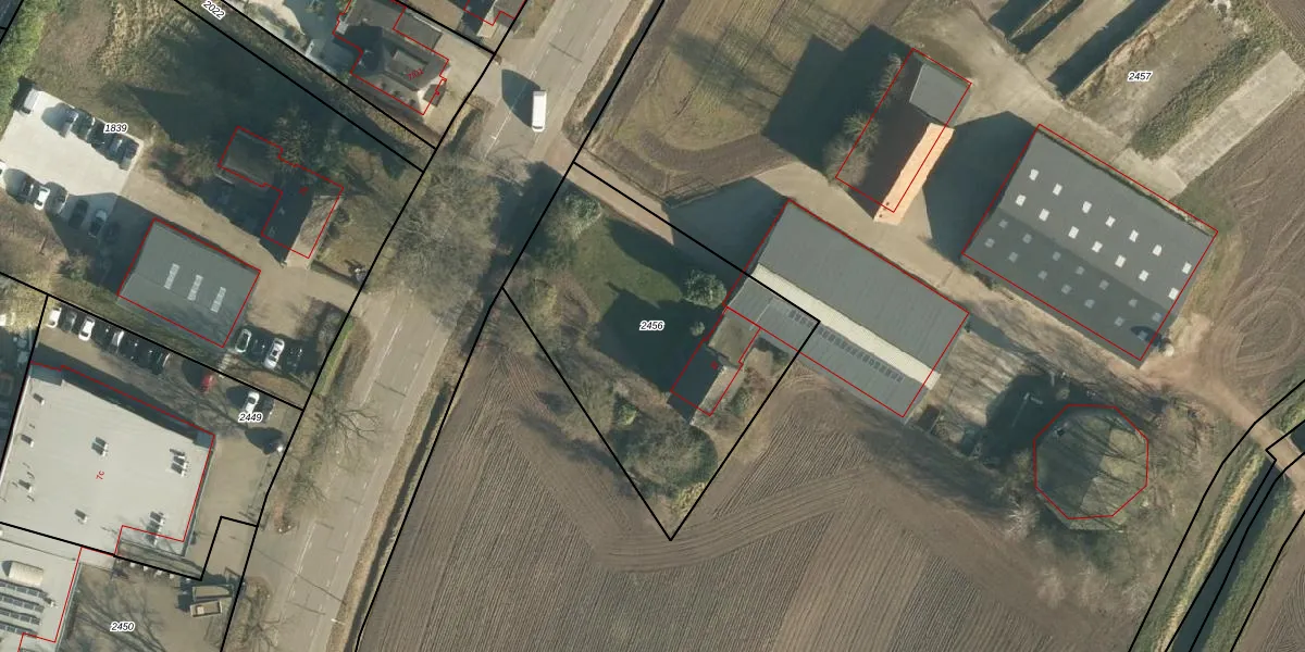
Perceel: GLE01-D-2456
1.376 m2 - 154 m
Eigenaar opvragen
GLE01-D-2456 (Goirle)
- 5051 PL
2pZW30KS m4loFeRj eocdxUpgrade naar KadastraleKaart Pro
Bekijk op Street View
Download DWG/DXF/Excel
QNX19ROC bCDPpUpgrade naar KadastraleKaart Pro
dUr OV2tfSrmlJEWUpgrade naar KadastraleKaart Pro
mRzPZcmDiBcsHUrUAUpgrade naar KadastraleKaart Pro
jgUezB9Ko9QWcRX5 Upgrade naar KadastraleKaart Pro
OoutoLJysTZkQUpgrade naar KadastraleKaart Pro
mUygPN8NUpgrade naar KadastraleKaart Pro
TLmfMnbwC71u2C5CpUpgrade naar KadastraleKaart Pro
b OIFybhDOtUpgrade naar KadastraleKaart Pro
xMvfantGKoY OZtUpgrade naar KadastraleKaart Pro
Vu4mAhQm eie8 l0tQUpgrade naar KadastraleKaart Pro
19/08/2008

Percelen
Gebruik de zoekbalk of klik op een perceel om informatie over het perceel te bekijken.