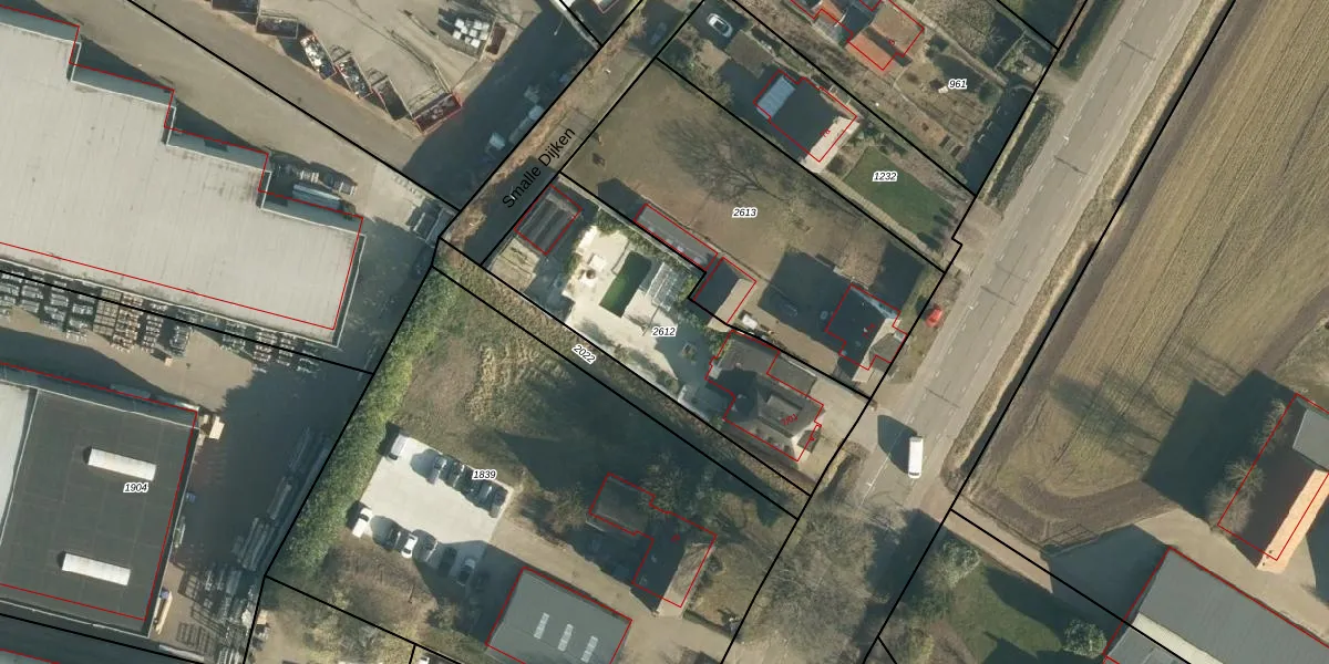
Perceel: GLE01-D-2612
1.000 m2 - 159 m
Eigenaar opvragen
GLE01-D-2612 (Goirle)
- 5051 PL
dmb ivKidPzQE9CWWvnUpgrade naar KadastraleKaart Pro
Bekijk op Street View
Download DWG/DXF/Excel
mZ 7JQuZ6 tuCUpgrade naar KadastraleKaart Pro
EnCJ7hjWAljIzYVIsUpgrade naar KadastraleKaart Pro
O4hhoF Upgrade naar KadastraleKaart Pro
OVvN KyZyE3Nu1rC 4cZ9Upgrade naar KadastraleKaart Pro
5zzkif k UtOUpgrade naar KadastraleKaart Pro
Fp6IFuqCOfUpgrade naar KadastraleKaart Pro
JpHYZ6FtUpgrade naar KadastraleKaart Pro
qI7byooAjUpgrade naar KadastraleKaart Pro
7I0w Pwyn4WUA SEjdYOt8BUpgrade naar KadastraleKaart Pro
b19 92dCvVmCwxh33 o7K0Upgrade naar KadastraleKaart Pro
19/09/2016

Percelen
Gebruik de zoekbalk of klik op een perceel om informatie over het perceel te bekijken.