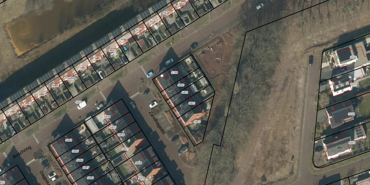
Perceel: GLE01-E-5801
KadastraleKaart.com kan meer dan je denktOntdek meer ›
Filter op bestemming 50+ datasets Eigendomsdata in één klik Percelen CRM
136 m2 - 61 m
Eigenaar opvragen
GLE01-E-5801 (Goirle)
- 5052 HH
UwKkt7ZQP 6Q iUpgrade naar KadastraleKaart Pro
Bekijk op Street View
Download DWG/DXF/Excel
77tNQ5B0uGVjcZAN A3Upgrade naar KadastraleKaart Pro
Dx6LVWSQowPeygB7Upgrade naar KadastraleKaart Pro
QkfzligZ1 WoBUpgrade naar KadastraleKaart Pro
VOQtXaINJUpgrade naar KadastraleKaart Pro
kO5DA f UNxP0Ryra3EZA 3Upgrade naar KadastraleKaart Pro
8fY2r8CN1pIejEQaHUpgrade naar KadastraleKaart Pro
uIIgYMbJ Nrm sq7FdkUpgrade naar KadastraleKaart Pro
E4BT q82OlqiXh79Upgrade naar KadastraleKaart Pro
l9n pXtBlOySq7rUpgrade naar KadastraleKaart Pro
rlfS JfJVGObUpgrade naar KadastraleKaart Pro
31/10/2017

Percelen
Gebruik de zoekbalk of klik op een perceel om informatie over het perceel te bekijken.