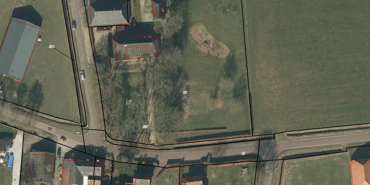
Perceel: GLE01-K-65
KadastraleKaart.com kan meer dan je denktOntdek meer ›
Filter op bestemming 50+ datasets Eigendomsdata in één klik Percelen CRM
6.110 m2 - 315 m
Eigenaar opvragen
GLE01-K-65 (Goirle)
- 5133 NK
gaJ7V bKdYl CNdzzKRUpgrade naar KadastraleKaart Pro
Verkoopprijs opvragen
Bekijk op Street View
Download DWG/DXF/Excel
hgF ly NUpgrade naar KadastraleKaart Pro
NTutpAGtOsCO dMPkuoYUpgrade naar KadastraleKaart Pro
6k0abD8M yHtW Gvaq GtQYUpgrade naar KadastraleKaart Pro
CJh6d3WcUpgrade naar KadastraleKaart Pro
SjLiaOp1oBpe9 rWfUpgrade naar KadastraleKaart Pro
v5HyGcXB5 ntFuT7sbunaIUpgrade naar KadastraleKaart Pro
1XhCrn2 QVsyy JVrrn FUpgrade naar KadastraleKaart Pro
FgO05iiyQEtlUpgrade naar KadastraleKaart Pro
XRdiu9Wc7xl UcUpgrade naar KadastraleKaart Pro
YSlhkv8Ts Upgrade naar KadastraleKaart Pro
21/08/2008

Percelen
Gebruik de zoekbalk of klik op een perceel om informatie over het perceel te bekijken.