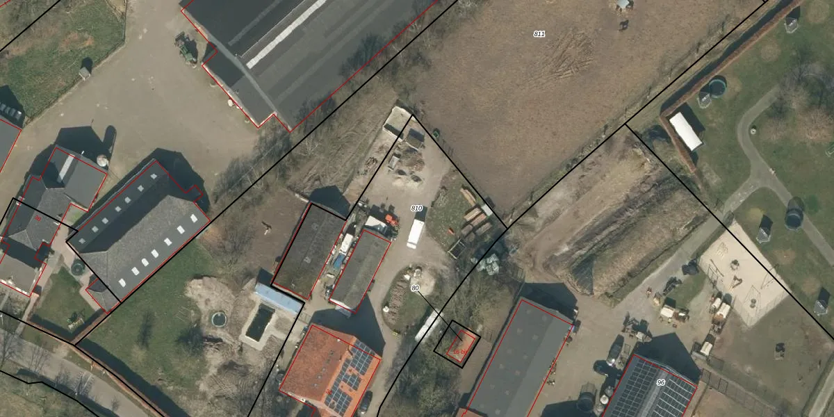
Perceel: GLE01-K-810
2.965 m2 - 267 m
Eigenaar opvragen
GLE01-K-810 (Goirle)
- 5133 AC
UUnv4qzrZmdN9eejioUpgrade naar KadastraleKaart Pro
Verkoopprijs opvragen
Bekijk op Street View
Download DWG/DXF/Excel
d G Oh52qf7 hUpgrade naar KadastraleKaart Pro
B yW i2o Upgrade naar KadastraleKaart Pro
FZ TJwOpUpgrade naar KadastraleKaart Pro
g5t zP lXLgIEQ6XoDEUpgrade naar KadastraleKaart Pro
g XBF kQycTAYZcDUpgrade naar KadastraleKaart Pro
NhqBo rSNBYRNXUpgrade naar KadastraleKaart Pro
Cp vVL4KP0cTlr Upgrade naar KadastraleKaart Pro
2KdHKB8uaS1DBFdcAUpgrade naar KadastraleKaart Pro
ajnxnrD B91kn BGdDobsDUpgrade naar KadastraleKaart Pro
siGwqbiITmbLz4Upgrade naar KadastraleKaart Pro
19/11/2008

Percelen
Gebruik de zoekbalk of klik op een perceel om informatie over het perceel te bekijken.