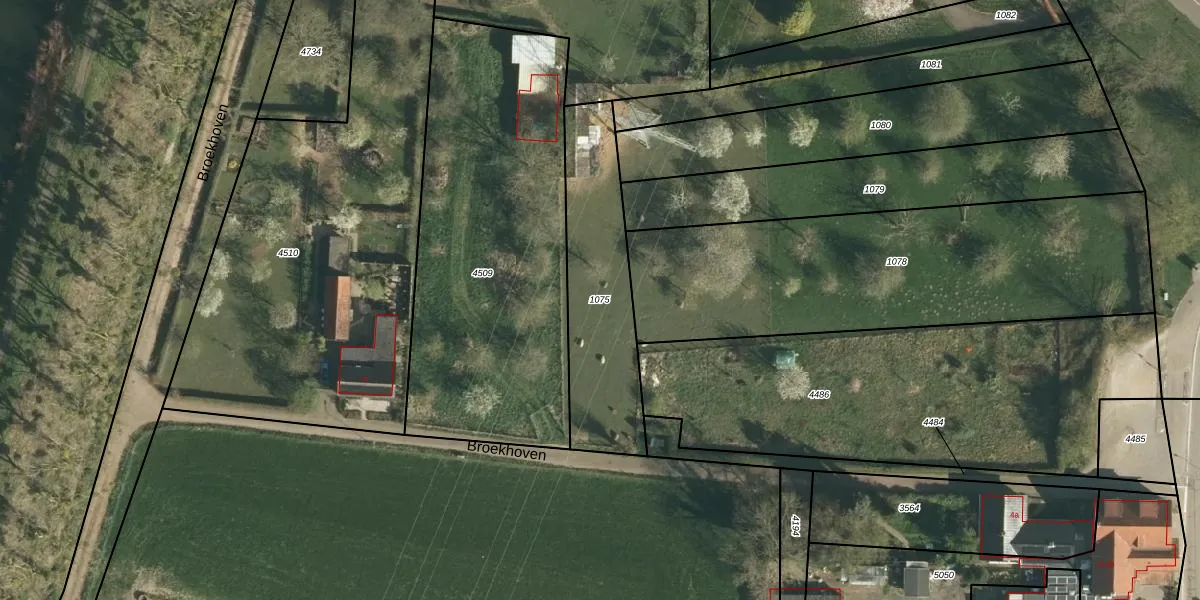
Perceel: GLE02-A-1075
Geen adressen bij dit perceel
605 m2 - 138 m
Eigenaar opvragen
GLE02-A-1075 (Geulle)
- Geen postcode aanwezig
Zw8zmI6Iqn RqLeIv 5TQyoODX3Upgrade naar KadastraleKaart Pro
Bekijk op Street View
Download DWG/DXF/Excel
fGx WJuHb1YQVsv QUpgrade naar KadastraleKaart Pro
7BFwKlFVspFulbUpgrade naar KadastraleKaart Pro
SNxzEOEENESx 2oUpgrade naar KadastraleKaart Pro
bIR3 rjR4Y0Ea33msbUpgrade naar KadastraleKaart Pro
kIMHqUnzv9 c aHq7XUpgrade naar KadastraleKaart Pro
xmY8JWyHTG4yxaQ7Qw Upgrade naar KadastraleKaart Pro
S Bqiz ZmUpgrade naar KadastraleKaart Pro
qD83gw0Lr5y Q0CSQoRd6LUpgrade naar KadastraleKaart Pro
o vhtdo3Oq6KZ5VUpgrade naar KadastraleKaart Pro
7Fs SzMzkXit7Upgrade naar KadastraleKaart Pro
10/08/2007

Percelen
Gebruik de zoekbalk of klik op een perceel om informatie over het perceel te bekijken.