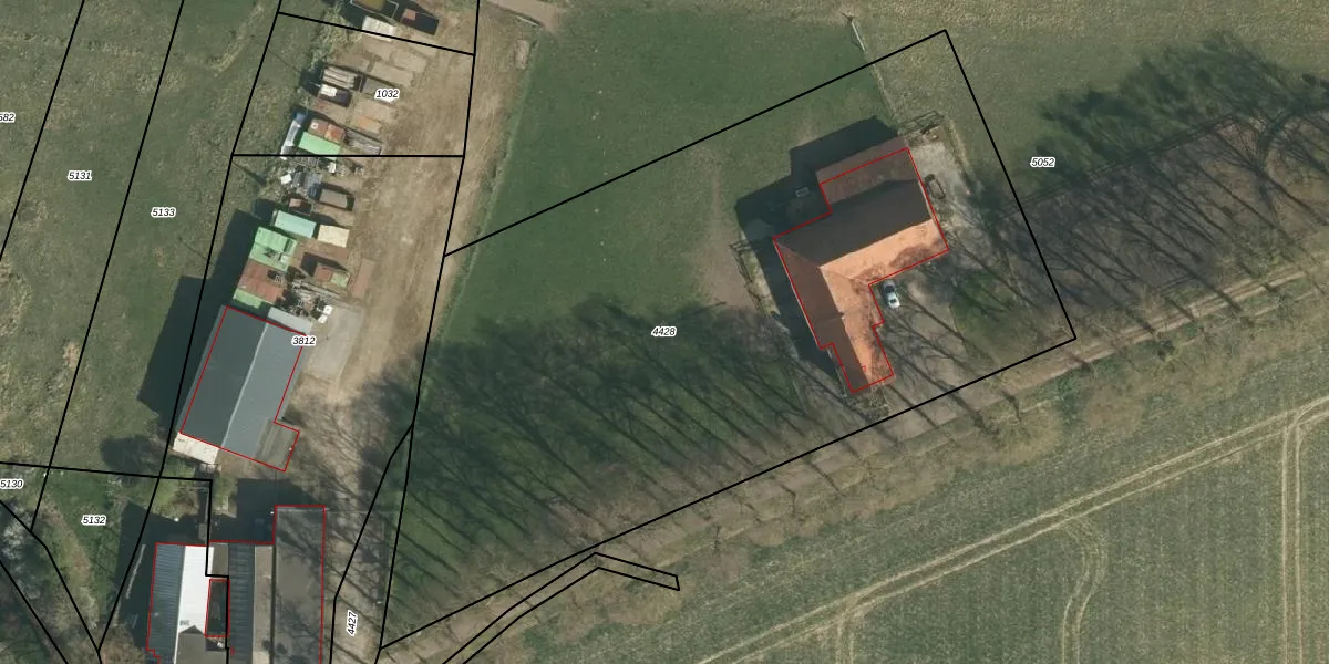
Perceel: GLE02-A-4428
4.810 m2 - 308 m
Eigenaar opvragen
GLE02-A-4428 (Geulle)
- 6243 ND
PZzu8 CLVmzDY112GLKUpgrade naar KadastraleKaart Pro
Bekijk op Street View
Download DWG/DXF/Excel
GKU6ZmNGadA V8922 OFUpgrade naar KadastraleKaart Pro
AGg EAtaxZVSUpgrade naar KadastraleKaart Pro
3jtdQ l0HoQThUpgrade naar KadastraleKaart Pro
HTh x3Yx t IFRge0 yTUpgrade naar KadastraleKaart Pro
6fP 8F2daUpgrade naar KadastraleKaart Pro
xh w03y1o8lfOx iOjTUpgrade naar KadastraleKaart Pro
GTj59YpaTWjUpgrade naar KadastraleKaart Pro
INu6bYWCXA4C8Iu8 8ijUpgrade naar KadastraleKaart Pro
vvAG 6mzBvbRJJk5sDDQRHbUpgrade naar KadastraleKaart Pro
NGQXYCQBQBa3eks31l6AoUpgrade naar KadastraleKaart Pro
14/08/2007

Percelen
Gebruik de zoekbalk of klik op een perceel om informatie over het perceel te bekijken.