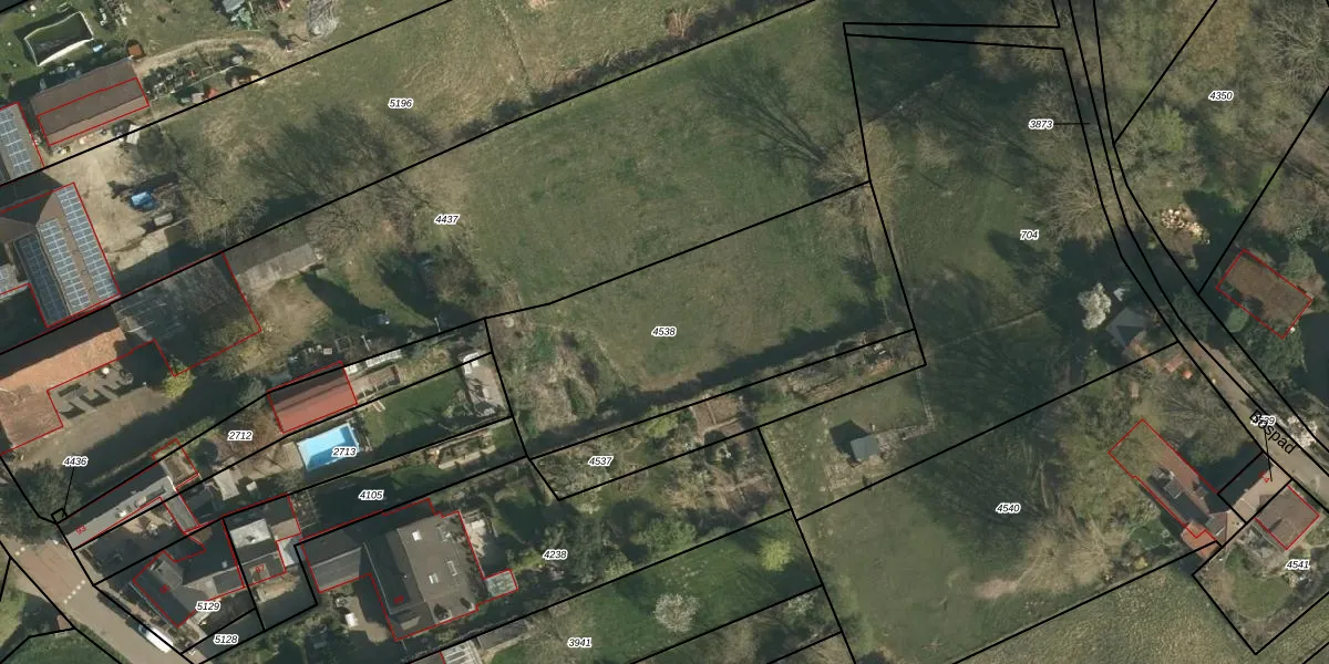
Perceel: GLE02-A-4538
Geen adressen bij dit perceel
1.418 m2 - 169 m
Eigenaar opvragen
GLE02-A-4538 (Geulle)
- Geen postcode aanwezig
eIQfoNhhL7m Ztb5xr3x4p pCUpgrade naar KadastraleKaart Pro
Bekijk op Street View
Download DWG/DXF/Excel
ntyy E8iKEIUpgrade naar KadastraleKaart Pro
hWVb4Z1cveLNzmUpgrade naar KadastraleKaart Pro
LARIPx9eOhrUqUpgrade naar KadastraleKaart Pro
DJ9oqVpxI5 b rGS6ZUpgrade naar KadastraleKaart Pro
67 3Kl ab1dv2C5z2 CqcnUpgrade naar KadastraleKaart Pro
D4j0RfWv98jHthAPg6oqUpgrade naar KadastraleKaart Pro
3K2jahOGaUpgrade naar KadastraleKaart Pro
8BZb3y3C wUpgrade naar KadastraleKaart Pro
O2wYYmSYxinK51Upgrade naar KadastraleKaart Pro
HNSReLpUG 0pRNxTUpgrade naar KadastraleKaart Pro
21/12/2018

Percelen
Gebruik de zoekbalk of klik op een perceel om informatie over het perceel te bekijken.