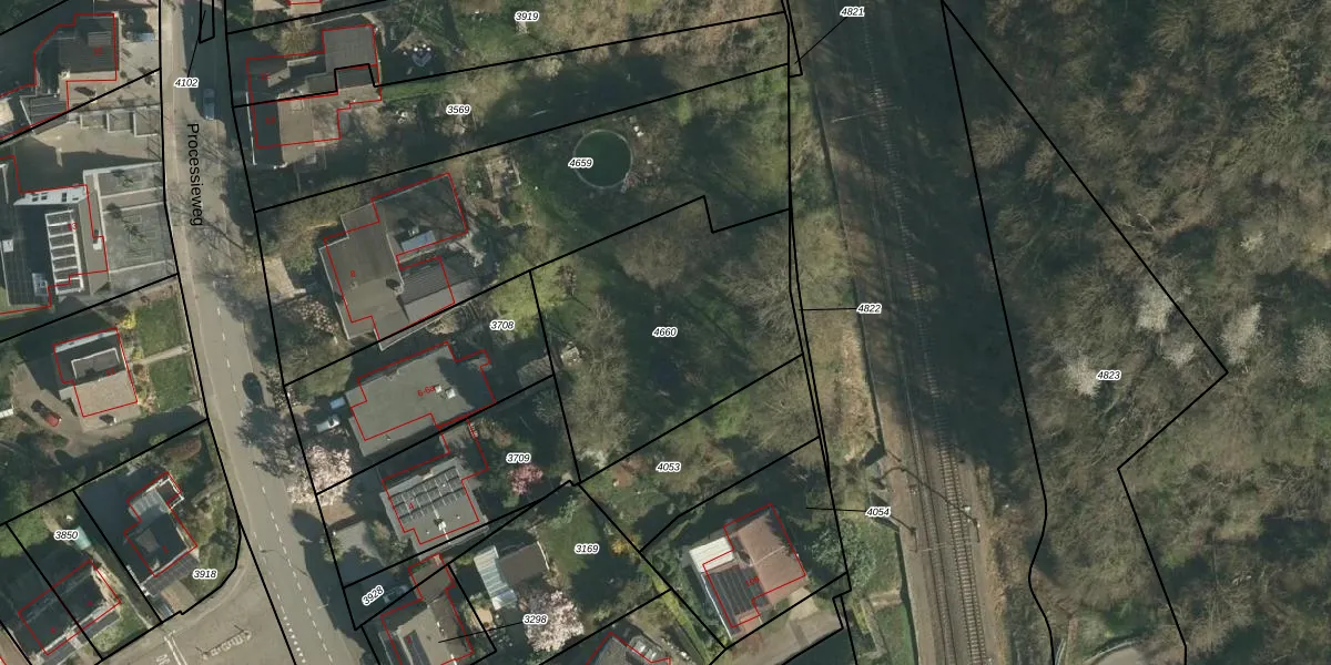
Perceel: GLE02-A-4660
Geen adressen bij dit perceel
1.145 m2 - 140 m
Eigenaar opvragen
GLE02-A-4660 (Geulle)
- Geen postcode aanwezig
X F C1 DyHz TdU25T5kds5qWE yUpgrade naar KadastraleKaart Pro
Bekijk op Street View
Download DWG/DXF/Excel
wcEgYMEQ4IVU6znkwiAfUpgrade naar KadastraleKaart Pro
z00Xu0EneRWkqcl3gSHUpgrade naar KadastraleKaart Pro
LBkQL8dQnGUpgrade naar KadastraleKaart Pro
Wz U2 W FUpgrade naar KadastraleKaart Pro
lIt45 YPUpgrade naar KadastraleKaart Pro
yL8lxsWuUpgrade naar KadastraleKaart Pro
fQL7 YQDYUpgrade naar KadastraleKaart Pro
G 1dDhVYO kN fUpgrade naar KadastraleKaart Pro
ZjXGTA 8SYUxLslHUpgrade naar KadastraleKaart Pro
NS9iOV8QT2mlAauUpgrade naar KadastraleKaart Pro
10/08/2007

Percelen
Gebruik de zoekbalk of klik op een perceel om informatie over het perceel te bekijken.