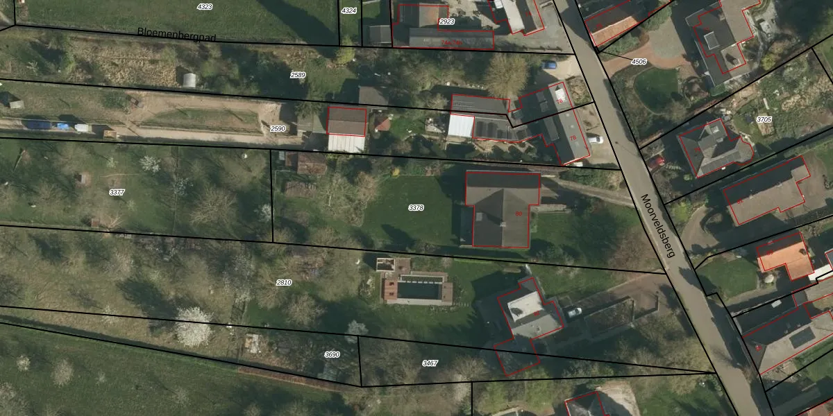
Perceel: GLE02-B-3378
2.070 m2 - 229 m
Eigenaar opvragen
GLE02-B-3378 (Geulle)
- 6243 CW
yTW104BhKsRoUGywN ngf ZEUpgrade naar KadastraleKaart Pro
Bekijk op Street View
Download DWG/DXF/Excel
2DoIzLYFcUpgrade naar KadastraleKaart Pro
2AefBGBpYctUL8Upgrade naar KadastraleKaart Pro
VpF89wH2uUeU34T3Upgrade naar KadastraleKaart Pro
Ikbd56JoiCUDsc5cTwP7sCzUpgrade naar KadastraleKaart Pro
Hb1zDgB 8K28WEUw5keUpgrade naar KadastraleKaart Pro
nOkAYuBe114 Eo gUpgrade naar KadastraleKaart Pro
uL exMTtS1Mp3RUpgrade naar KadastraleKaart Pro
zPxE 57 a2QK7ideDxSIMUpgrade naar KadastraleKaart Pro
kOTrqBG b2XLNpABEwUUpgrade naar KadastraleKaart Pro
fgserVyBUpgrade naar KadastraleKaart Pro
14/08/2007

Percelen
Gebruik de zoekbalk of klik op een perceel om informatie over het perceel te bekijken.