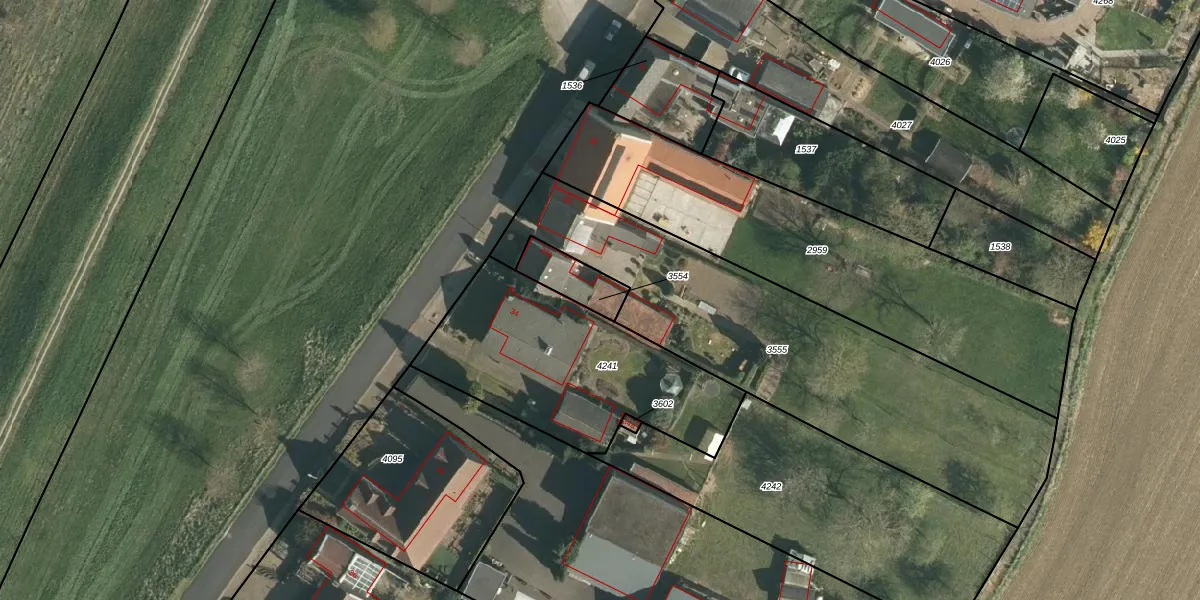
Perceel: GLE02-B-3554
108 m2 - 50 m
Eigenaar opvragen
GLE02-B-3554 (Geulle)
- 6243 NB
FPdH JS3YyHuogrRryVypLeyUOxUpgrade naar KadastraleKaart Pro
Bekijk op Street View
Download DWG/DXF/Excel
GLUkRd KRQWXR49Zq 9Upgrade naar KadastraleKaart Pro
NGTF OJDACYFwKHUpgrade naar KadastraleKaart Pro
dwvmwoR3C5FEu4Upgrade naar KadastraleKaart Pro
eD ZCa9lgjo6CC9tSBmOJHUpgrade naar KadastraleKaart Pro
qAAqz8PvY6brK eLPb9wUpgrade naar KadastraleKaart Pro
3rbaNe UJhCrtTY0JXEUpgrade naar KadastraleKaart Pro
2H7p99 w2RrmUR sjCuk7Upgrade naar KadastraleKaart Pro
IauvyEuSxFrYVEFsL0LEUpgrade naar KadastraleKaart Pro
gdAHHEem1yKTtUpgrade naar KadastraleKaart Pro
tAfk0nZkUpgrade naar KadastraleKaart Pro
14/08/2007

Percelen
Gebruik de zoekbalk of klik op een perceel om informatie over het perceel te bekijken.