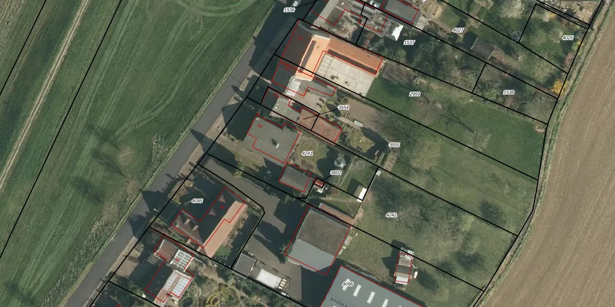
Perceel: GLE02-B-4241
920 m2 - 143 m
Eigenaar opvragen
GLE02-B-4241 (Geulle)
- 6243 NB
y 9OyflQglhoYpzqJMJ KPq 7Upgrade naar KadastraleKaart Pro
Bekijk op Street View
Download DWG/DXF/Excel
0DCfiPKB2821RUpgrade naar KadastraleKaart Pro
NfLdCd0HZ Upgrade naar KadastraleKaart Pro
17xEyf730Z LbuUpgrade naar KadastraleKaart Pro
vZRYjMmhcmAdJ9seUpgrade naar KadastraleKaart Pro
mVDnlH00YlybQup1 7YuFUpgrade naar KadastraleKaart Pro
EXER 8sScHaAism hMRZUpgrade naar KadastraleKaart Pro
2opDBEhlpu hWkk1ZqSaVWsUpgrade naar KadastraleKaart Pro
jvjfTgOdbZTgjR6ZYhUpgrade naar KadastraleKaart Pro
2danE I7Upgrade naar KadastraleKaart Pro
oLXu IQ Upgrade naar KadastraleKaart Pro
23/04/2015

Percelen
Gebruik de zoekbalk of klik op een perceel om informatie over het perceel te bekijken.