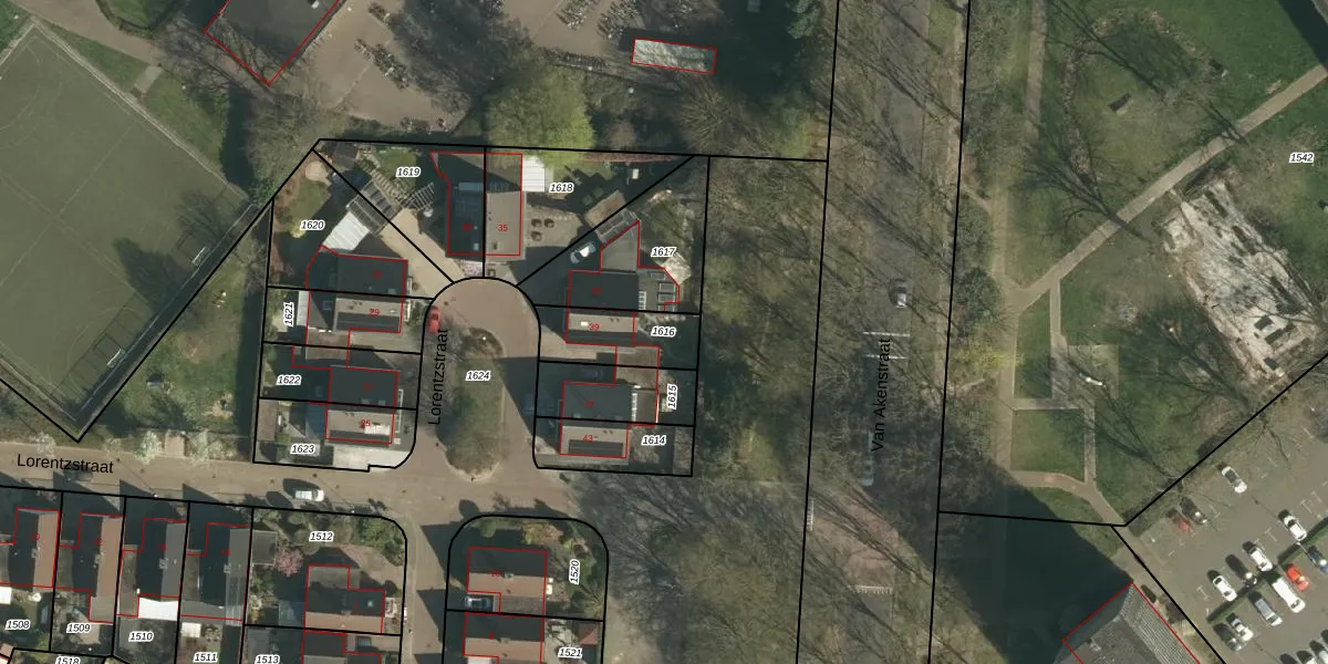
Perceel: GLN00-E-1616
KadastraleKaart.com kan meer dan je denktOntdek meer ›
Filter op bestemming 50+ datasets Eigendomsdata in één klik Percelen CRM
204 m2 - 66 m
Eigenaar opvragen
GLN00-E-1616 (Geleen)
- 6164 BH
8Sbrg8QQXoeajLvxQUQlZ sHRhPUpgrade naar KadastraleKaart Pro
Bekijk op Street View
Download DWG/DXF/Excel
m5448tQ8lUpgrade naar KadastraleKaart Pro
n8wQpTH7AHHt PdDQj9oaUpgrade naar KadastraleKaart Pro
GQbMlA11iBUpgrade naar KadastraleKaart Pro
rPDx4esSZ0roUaUpgrade naar KadastraleKaart Pro
sOg2PelMf 7bRYIvIUpgrade naar KadastraleKaart Pro
8PrC4oSXUUpgrade naar KadastraleKaart Pro
tmrO49K8Upgrade naar KadastraleKaart Pro
nmmVMp8u0HncJIFzFJSUpgrade naar KadastraleKaart Pro
yB5we ra3xtDbFIx4d1veqUpgrade naar KadastraleKaart Pro
eMKh3 aEUpgrade naar KadastraleKaart Pro
25/11/2011

Percelen
Gebruik de zoekbalk of klik op een perceel om informatie over het perceel te bekijken.