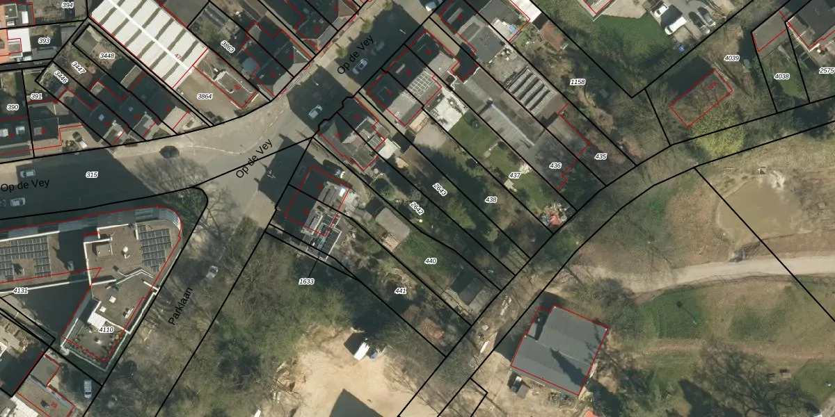
Perceel: GLN00-F-2642
380 m2 - 131 m
Eigenaar opvragen
GLN00-F-2642 (Geleen)
- 6165 CD
mqdSKtrcFSzCRrVfOYXqAjiFbxR2sKVUpgrade naar KadastraleKaart Pro
Bekijk op Street View
Download DWG/DXF/Excel
28sHis2W9kOwBGoUx5p Upgrade naar KadastraleKaart Pro
E9Dnzu02rpDmVUpgrade naar KadastraleKaart Pro
XhRVXPVLdN zCUpgrade naar KadastraleKaart Pro
3JgPGn 6W Hz7Xs Upgrade naar KadastraleKaart Pro
rOB95U2r5CRY3ZpLi jCeUpgrade naar KadastraleKaart Pro
hVhHGo5zDiDf96Upgrade naar KadastraleKaart Pro
xwrN 1S4UjvQP1RVy14NTUpgrade naar KadastraleKaart Pro
pBd2UENKHGUpgrade naar KadastraleKaart Pro
p4BITfv7G6SJ0GFs2W IXUUpgrade naar KadastraleKaart Pro
Gd 9PCvPdwH7FeSBAOcf8Upgrade naar KadastraleKaart Pro
29/04/2005

Percelen
Gebruik de zoekbalk of klik op een perceel om informatie over het perceel te bekijken.