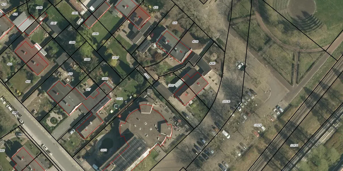
Perceel: GLN00-G-1937
KadastraleKaart.com kan meer dan je denktOntdek meer ›
Filter op bestemming 50+ datasets Eigendomsdata in één klik Percelen CRM
498 m2 - 97 m
Eigenaar opvragen
GLN00-G-1937 (Geleen)
- 6163 AA
6Lu9JW17bux XQ9zBond663J3fHQUpgrade naar KadastraleKaart Pro
Verkoopprijs opvragen
Bekijk op Street View
Download DWG/DXF/Excel
RLEx4 zfjvBL12wiuel2pUpgrade naar KadastraleKaart Pro
JWpc4mi1eFTrv0UsUpgrade naar KadastraleKaart Pro
30 whxeJ0B19PEc rm8uiqXUpgrade naar KadastraleKaart Pro
3guGqKYWxtR1MaYqP38Upgrade naar KadastraleKaart Pro
Zlx33t3UQsrjSWP7qzUpgrade naar KadastraleKaart Pro
3qzTAx g7LUpgrade naar KadastraleKaart Pro
XjDBRYIfsioirUpgrade naar KadastraleKaart Pro
HPniN39 QdzIY2UwZ sUpgrade naar KadastraleKaart Pro
3WLqzDkzOePcwldUo Vv0Upgrade naar KadastraleKaart Pro
dSP0HRLwHiLDrMUpgrade naar KadastraleKaart Pro
23/08/2011

Percelen
Gebruik de zoekbalk of klik op een perceel om informatie over het perceel te bekijken.