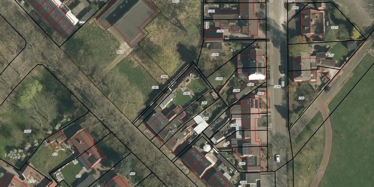
Perceel: GLN00-G-1962
KadastraleKaart.com kan meer dan je denktOntdek meer ›
Filter op bestemming 50+ datasets Eigendomsdata in één klik Percelen CRM
500 m2 - 112 m
Eigenaar opvragen
GLN00-G-1962 (Geleen)
- 6163 XX
k e8JuBUqXUDEYa9PHcvX42Upgrade naar KadastraleKaart Pro
Verkoopprijs opvragen
Bekijk op Street View
Download DWG/DXF/Excel
NWNTlNo nX PpOKL7lUpgrade naar KadastraleKaart Pro
hrWISZuzJfVs YDhjEdDUpgrade naar KadastraleKaart Pro
6uN yizJSNUpgrade naar KadastraleKaart Pro
cIke Vy uw9Txj4q fgMaQUpgrade naar KadastraleKaart Pro
3pVOD44OIpcUpgrade naar KadastraleKaart Pro
hOdEc9y9jd EX3tPn2e6wUpgrade naar KadastraleKaart Pro
PW hbVs6joPn OCokmRZ80Upgrade naar KadastraleKaart Pro
wsGQnVT1PiODfJal17XQC6rUpgrade naar KadastraleKaart Pro
pTM3nEwOVP9 rIEllSIUpgrade naar KadastraleKaart Pro
gxOazajjUUpgrade naar KadastraleKaart Pro
18/10/2011

Percelen
Gebruik de zoekbalk of klik op een perceel om informatie over het perceel te bekijken.