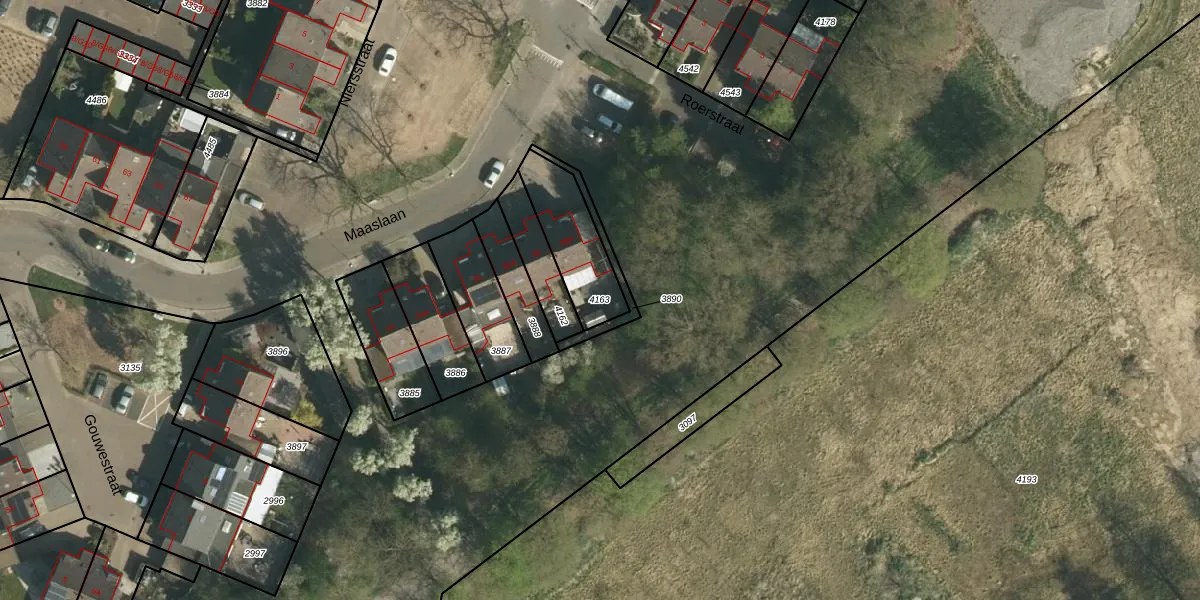
Perceel: GLN00-G-4163
KadastraleKaart.com kan meer dan je denktOntdek meer ›
Filter op bestemming 50+ datasets Eigendomsdata in één klik Percelen CRM
239 m2 - 75 m
Eigenaar opvragen
GLN00-G-4163 (Geleen)
- 6163 KL
ulrXtJIGBUU3ZDRWcwo2npMWHUpgrade naar KadastraleKaart Pro
Bekijk op Street View
Download DWG/DXF/Excel
BFjks0M1Upgrade naar KadastraleKaart Pro
ikykEWtcQZK L2cPgsCUpgrade naar KadastraleKaart Pro
VfTO1Sju1CbGUpgrade naar KadastraleKaart Pro
EY7rfh7CU1Upgrade naar KadastraleKaart Pro
qoe1G281NeXO8 3hxv xhYUpgrade naar KadastraleKaart Pro
w5FREdl26A3Ipv7qKlUpgrade naar KadastraleKaart Pro
JiNoFnG6xkaVq68lUpgrade naar KadastraleKaart Pro
BpeF4oi 4prZe5Upgrade naar KadastraleKaart Pro
iWRw9MpWUpgrade naar KadastraleKaart Pro
7cozXfTnEC DqkPvUE7zFoUpgrade naar KadastraleKaart Pro
18/04/2007

Percelen
Gebruik de zoekbalk of klik op een perceel om informatie over het perceel te bekijken.