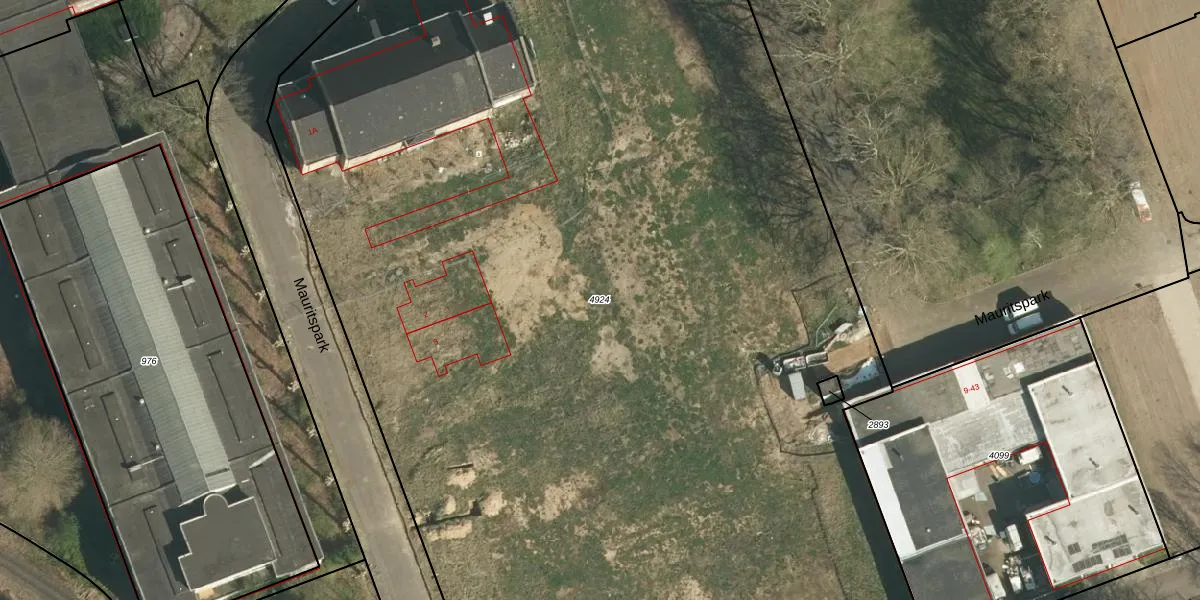
Perceel: GLN00-G-4924
KadastraleKaart.com kan meer dan je denktOntdek meer ›
Filter op bestemming 50+ datasets Eigendomsdata in één klik Percelen CRM
11.307 m2 - 461 m
Eigenaar opvragen
GLN00-G-4924 (Geleen)
- 6163 HM
w kTJejbgjayh xILCBUpgrade naar KadastraleKaart Pro
Bekijk op Street View
Download DWG/DXF/Excel
CQiPrc2y4fKIhTmLUpgrade naar KadastraleKaart Pro
0kkAzfEz0fVetmTzC62Upgrade naar KadastraleKaart Pro
OaiksfjO 7z6vul qUpgrade naar KadastraleKaart Pro
X4d9WDfnLUpgrade naar KadastraleKaart Pro
w YixNCrgbg 9xdR80Upgrade naar KadastraleKaart Pro
tL5URVNJBFWYFAzUpgrade naar KadastraleKaart Pro
uE UdCx 7 35R6DxLUpgrade naar KadastraleKaart Pro
5cIYFl YuayEUpgrade naar KadastraleKaart Pro
RrwVTs ypXiG0sz 8nauTPdUpgrade naar KadastraleKaart Pro
9pD4MViKxNrc85XnwbJPJjUpgrade naar KadastraleKaart Pro
04/06/2024

Percelen
Gebruik de zoekbalk of klik op een perceel om informatie over het perceel te bekijken.