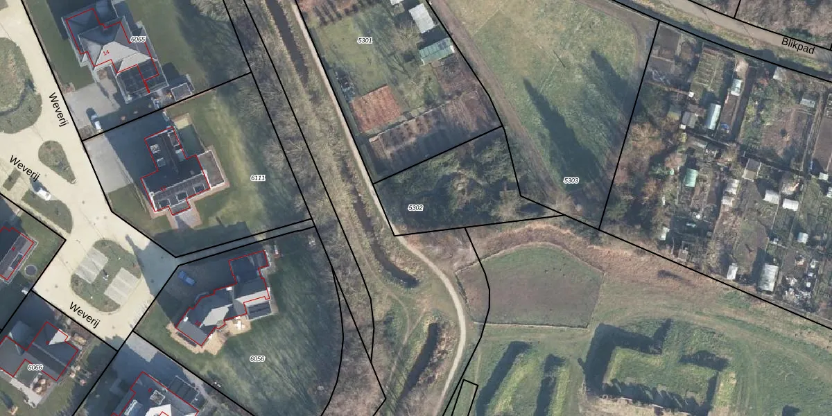
Perceel: GLO00-A-5302
KadastraleKaart.com kan meer dan je denktOntdek meer ›
Filter op bestemming 50+ datasets Eigendomsdata in één klik Percelen CRM
Geen adressen bij dit perceel
630 m2 - 118 m
Eigenaar opvragen
GLO00-A-5302 (Groenlo)
- Geen postcode aanwezig
nYISEls7psWHcSDuqV7oBYuW qfUpgrade naar KadastraleKaart Pro
Bekijk op Street View
Download DWG/DXF/Excel
L6V3u72jOlmfzd5Upgrade naar KadastraleKaart Pro
eGrvf3jLK1JSYcvJG7NR1Upgrade naar KadastraleKaart Pro
AmL p wMYS4NcBUpgrade naar KadastraleKaart Pro
3V4vr r0n9B5 o5Upgrade naar KadastraleKaart Pro
djLbf4kgQBUpgrade naar KadastraleKaart Pro
JjJrBwtqGhImTgUpgrade naar KadastraleKaart Pro
XgtFiqdruV3JhPF4zfvvWiUpgrade naar KadastraleKaart Pro
x1agVMNhH7LlqkipVXTsUpgrade naar KadastraleKaart Pro
h9hVQUUBX8qwLZHmUpgrade naar KadastraleKaart Pro
NJml RXiUpgrade naar KadastraleKaart Pro
24/01/2011

Percelen
Gebruik de zoekbalk of klik op een perceel om informatie over het perceel te bekijken.