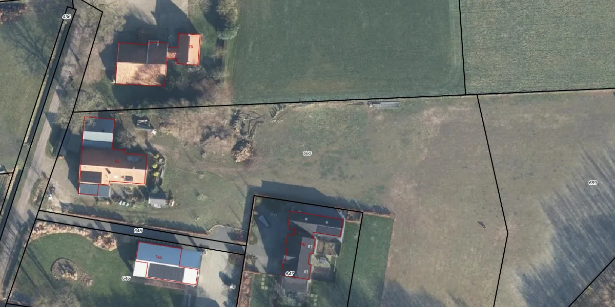
Perceel: GLO00-D-660
7.655 m2 - 474 m
Eigenaar opvragen
GLO00-D-660 (Groenlo)
- 7141 VE
HLXxqBGGF9RK0mAPHljP7 OE1Upgrade naar KadastraleKaart Pro
Bekijk op Street View
Download DWG/DXF/Excel
PtH Hq 3s6Sj QSivZNRUpgrade naar KadastraleKaart Pro
wEZccjPoKM9a9zUpgrade naar KadastraleKaart Pro
zOZ7JU08482DnUpgrade naar KadastraleKaart Pro
KbftkAO6Xt9Y4Upgrade naar KadastraleKaart Pro
7qkpwqJd0PiaqUpgrade naar KadastraleKaart Pro
0 Ohv5Bls7dr Upgrade naar KadastraleKaart Pro
eLtPJsWVOLfQUpgrade naar KadastraleKaart Pro
sjg3v kz0T0O3U7E9 iF G1Upgrade naar KadastraleKaart Pro
OvwI 4d8fhgYm y7fxglVUpgrade naar KadastraleKaart Pro
TNEDwqsSaPEHy 6RLsiUpgrade naar KadastraleKaart Pro
15/11/2023

Percelen
Gebruik de zoekbalk of klik op een perceel om informatie over het perceel te bekijken.