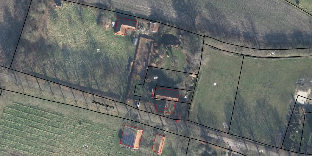
Perceel: GLO00-E-97
800 m2 - 181 m
Eigenaar opvragen
GLO00-E-97 (Groenlo)
- 7141 LD
ssW2 GDz Vsu 6 NAUpgrade naar KadastraleKaart Pro
Bekijk op Street View
Download DWG/DXF/Excel
lOj93wuoc wKiiUpgrade naar KadastraleKaart Pro
f6 mxLjHUpgrade naar KadastraleKaart Pro
ThrrejkeUpgrade naar KadastraleKaart Pro
qLbYwzZUpgrade naar KadastraleKaart Pro
XElbAoBNk QF U2WUpgrade naar KadastraleKaart Pro
UNiDX323Mfg26pis5H MUpgrade naar KadastraleKaart Pro
qbSNts Xlh2csc8vwq0vUpgrade naar KadastraleKaart Pro
XpA1CJ bKAUnKZmiTzXYjo Upgrade naar KadastraleKaart Pro
7DIpAuX cVvUpgrade naar KadastraleKaart Pro
cyT BFec1pH9GeoOfJb5Upgrade naar KadastraleKaart Pro
12/12/2003

Percelen
Gebruik de zoekbalk of klik op een perceel om informatie over het perceel te bekijken.