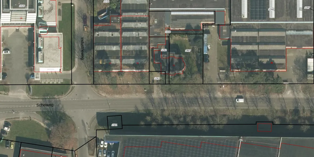
Perceel: GMT00-D-1241
KadastraleKaart.com kan meer dan je denktOntdek meer ›
Filter op bestemming 50+ datasets Eigendomsdata in één klik Percelen CRM
Geen adressen bij dit perceel
84 m2 - 37 m
Eigenaar opvragen
GMT00-D-1241 (Gemert)
- Geen postcode aanwezig
8Js4pJ1 ZEqpInOnUpgrade naar KadastraleKaart Pro
Bekijk op Street View
Download DWG/DXF/Excel
iX2NS78fGPrc M5 wUpgrade naar KadastraleKaart Pro
4oHCKixW7msZ lMVLe7B Upgrade naar KadastraleKaart Pro
jVR5U0igvzE4mXFhUpgrade naar KadastraleKaart Pro
YnumhE7YpVe82W PWx8WlUpgrade naar KadastraleKaart Pro
EE4pfdgLUSyY86Vi1 euUpgrade naar KadastraleKaart Pro
8TBLddzFOOMUpgrade naar KadastraleKaart Pro
DkywW5k Dbt fhySnHPMV2aUpgrade naar KadastraleKaart Pro
QLhaQ0y 0AUpgrade naar KadastraleKaart Pro
8 ND rXnDpZ7Lm0 ghP MUpgrade naar KadastraleKaart Pro
UlZgCRGbQBGg5ATan Ac1PpUpgrade naar KadastraleKaart Pro
10/03/2005

Percelen
Gebruik de zoekbalk of klik op een perceel om informatie over het perceel te bekijken.