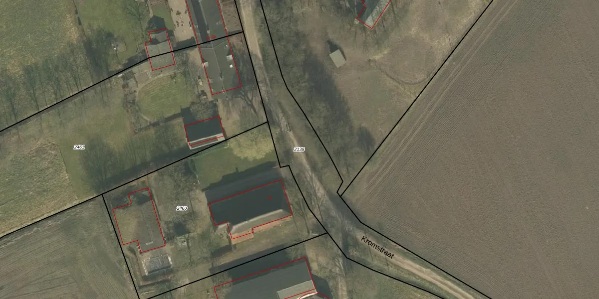
Perceel: GMT00-H-2138
KadastraleKaart.com kan meer dan je denktOntdek meer ›
Filter op bestemming 50+ datasets Eigendomsdata in één klik Percelen CRM
Geen adressen bij dit perceel
9.680 m2 - 2.135 m
Eigenaar opvragen
GMT00-H-2138 (Gemert)
- Geen postcode aanwezig
krl5W7A c5 ZrNx2G2nD2K0eJkbUpgrade naar KadastraleKaart Pro
Bekijk op Street View
Download DWG/DXF/Excel
eHXuWRxAnUpgrade naar KadastraleKaart Pro
G3I YZsU0lfUpgrade naar KadastraleKaart Pro
Kf4 J F2THmCi6Upgrade naar KadastraleKaart Pro
kU0Mw0trsJz8VmiFr7Upgrade naar KadastraleKaart Pro
K XuwiWgsNNAoeG9J6OUpgrade naar KadastraleKaart Pro
Enf9sOZJfU GQEpRxrApUnUpgrade naar KadastraleKaart Pro
Xyn ocrRtoj jl u59vPxUpgrade naar KadastraleKaart Pro
Mls6Bs p x3AD93DHBI2dfYUpgrade naar KadastraleKaart Pro
uc Ry9e2qSe1ycthf5xEvaUpgrade naar KadastraleKaart Pro
S6GDR6U0 wJxkm2X7Upgrade naar KadastraleKaart Pro
27/03/2009

Percelen
Gebruik de zoekbalk of klik op een perceel om informatie over het perceel te bekijken.