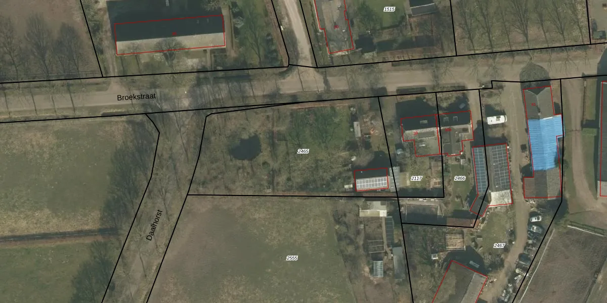
Perceel: GMT00-H-2465
KadastraleKaart.com kan meer dan je denktOntdek meer ›
Filter op bestemming 50+ datasets Eigendomsdata in één klik Percelen CRM
Geen adressen bij dit perceel
1.890 m2 - 187 m
Eigenaar opvragen
GMT00-H-2465 (Gemert)
- Geen postcode aanwezig
N1ORon D ulUCRSK1dbv 7WnonUpgrade naar KadastraleKaart Pro
Bekijk op Street View
Download DWG/DXF/Excel
zfhxVKzqUvUpgrade naar KadastraleKaart Pro
FUuTZFhCTPzZEmOC8WXbUpgrade naar KadastraleKaart Pro
sERRUyn ErwQizYcvVgUpgrade naar KadastraleKaart Pro
pMQqCP7WJ5QJUaUpgrade naar KadastraleKaart Pro
K tYD230c H24lYTuUpgrade naar KadastraleKaart Pro
9eGAE1tYmr3kPY eDJbs4Z Upgrade naar KadastraleKaart Pro
z5lAs 6W6trIRUpgrade naar KadastraleKaart Pro
z0mL6ubnAbWPMJX7Upgrade naar KadastraleKaart Pro
KRhDuCXmjP t DTa9mSfTdaUpgrade naar KadastraleKaart Pro
7Vfu bv17oZ 9D Upgrade naar KadastraleKaart Pro
22/03/2005

Percelen
Gebruik de zoekbalk of klik op een perceel om informatie over het perceel te bekijken.