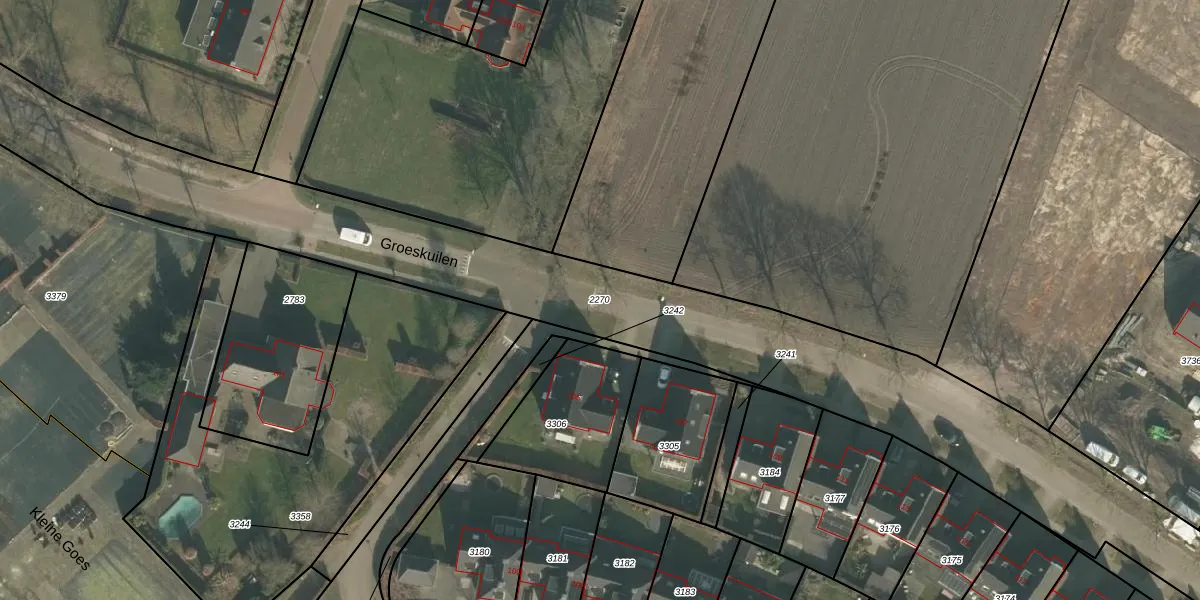
Perceel: GMT00-K-2270
KadastraleKaart.com kan meer dan je denktOntdek meer ›
Filter op bestemming 50+ datasets Eigendomsdata in één klik Percelen CRM
Geen adressen bij dit perceel
3.910 m2 - 685 m
Eigenaar opvragen
GMT00-K-2270 (Gemert)
- Geen postcode aanwezig
HQ ASw2pXy lliaKD zURuXtD6n MUpgrade naar KadastraleKaart Pro
Bekijk op Street View
Download DWG/DXF/Excel
nNcbG12z uUpgrade naar KadastraleKaart Pro
IxI p9UuNBZUpgrade naar KadastraleKaart Pro
DO27EOBcQl1 B QKlBgJUpgrade naar KadastraleKaart Pro
SOyuex1H tRQKbb5iW0sCRUpgrade naar KadastraleKaart Pro
02vATcqRB86Upgrade naar KadastraleKaart Pro
UkUUoRuTSmJ1K3MDDGUpgrade naar KadastraleKaart Pro
xwTRZwqCXLnMGIRm73YUpgrade naar KadastraleKaart Pro
f2290Gulw Y USj dPUpgrade naar KadastraleKaart Pro
Y 5DEkUdKDRBzB Upgrade naar KadastraleKaart Pro
L0714o6lKSRO5sXo8Upgrade naar KadastraleKaart Pro
22/12/2023

Percelen
Gebruik de zoekbalk of klik op een perceel om informatie over het perceel te bekijken.