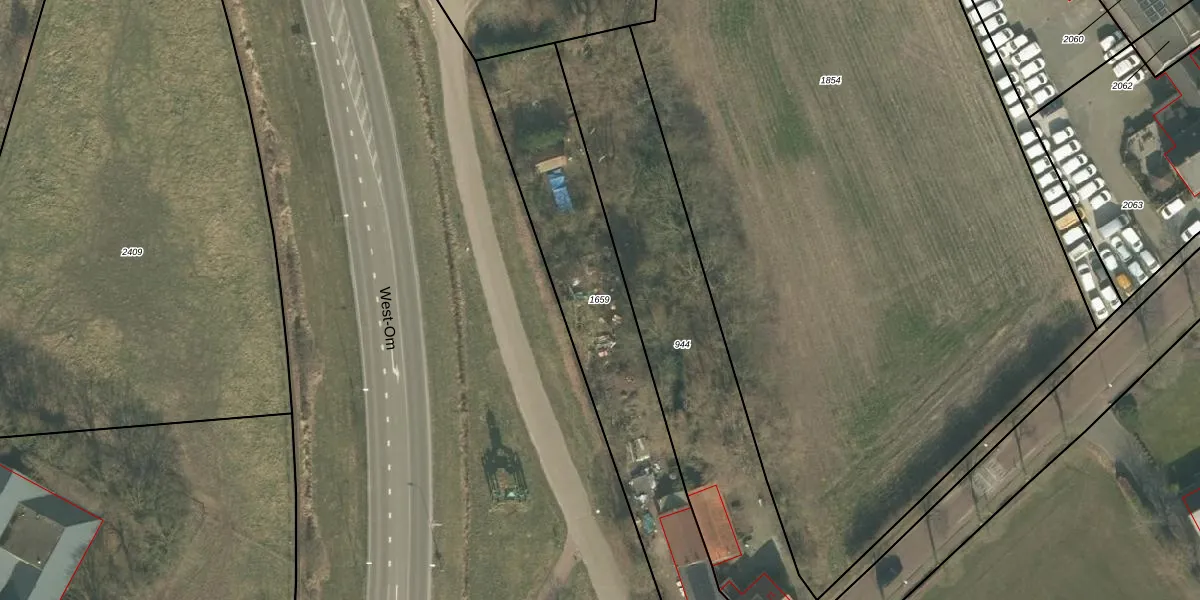
Perceel: GMT00-N-1659
KadastraleKaart.com kan meer dan je denktOntdek meer ›
Filter op bestemming 50+ datasets Eigendomsdata in één klik Percelen CRM
1.241 m2 - 249 m
Eigenaar opvragen
GMT00-N-1659 (Gemert)
- 5421 CM
El9wOYcUKDF6NLzW GY5kImQg6Upgrade naar KadastraleKaart Pro
Verkoopprijs opvragen
Bekijk op Street View
Download DWG/DXF/Excel
Xc V7 n6FUpgrade naar KadastraleKaart Pro
vvdPuXBz Ejf39Upgrade naar KadastraleKaart Pro
AA7p8 OXb FKFC47 F2thrUpgrade naar KadastraleKaart Pro
eKdNXwHL Upgrade naar KadastraleKaart Pro
GyAVg5bixu p1O2Upgrade naar KadastraleKaart Pro
1tLrh0BYm oN1qWWFQ4Upgrade naar KadastraleKaart Pro
cGAJXn6KpNntVKEGaFJK5Upgrade naar KadastraleKaart Pro
JvEaTcB HtoUpgrade naar KadastraleKaart Pro
p0 wxG npIhUpgrade naar KadastraleKaart Pro
TXyCeraCdMBDDKJgX7AcKUpgrade naar KadastraleKaart Pro
23/03/2005

Percelen
Gebruik de zoekbalk of klik op een perceel om informatie over het perceel te bekijken.