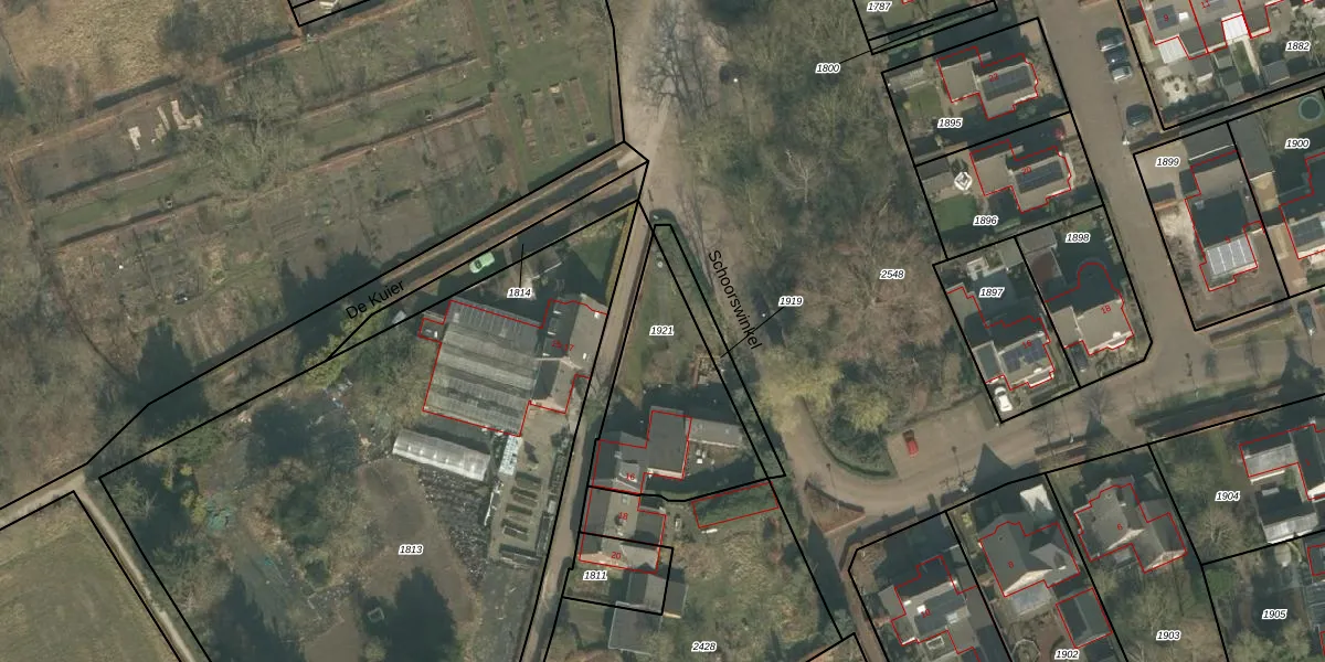
Perceel: GMT00-N-1921
570 m2 - 109 m
Eigenaar opvragen
GMT00-N-1921 (Gemert)
- 5421 CK
naIock1usbAcGznmunA3Upgrade naar KadastraleKaart Pro
Bekijk op Street View
Download DWG/DXF/Excel
t cafowepyLxLhJ1lwUpgrade naar KadastraleKaart Pro
qyb6 FnxQ X7w4oXUpgrade naar KadastraleKaart Pro
Wp6Xy tKSMRs XI wLdsCTUpgrade naar KadastraleKaart Pro
z LcJ6nDnph srZwrM ublvUpgrade naar KadastraleKaart Pro
MoBlTXjjahNUpgrade naar KadastraleKaart Pro
FUvDF CSEux edsr1FPq7HgUpgrade naar KadastraleKaart Pro
biMXWkiR H a0xHlA49JsJjUpgrade naar KadastraleKaart Pro
CTZzB 1oI7GT0Likv5bQUfUpgrade naar KadastraleKaart Pro
RlQHy OboeNYVzoUpgrade naar KadastraleKaart Pro
BkIY Y53TVqYyBcJVbKltDuUpgrade naar KadastraleKaart Pro
23/03/2005

Percelen
Gebruik de zoekbalk of klik op een perceel om informatie over het perceel te bekijken.