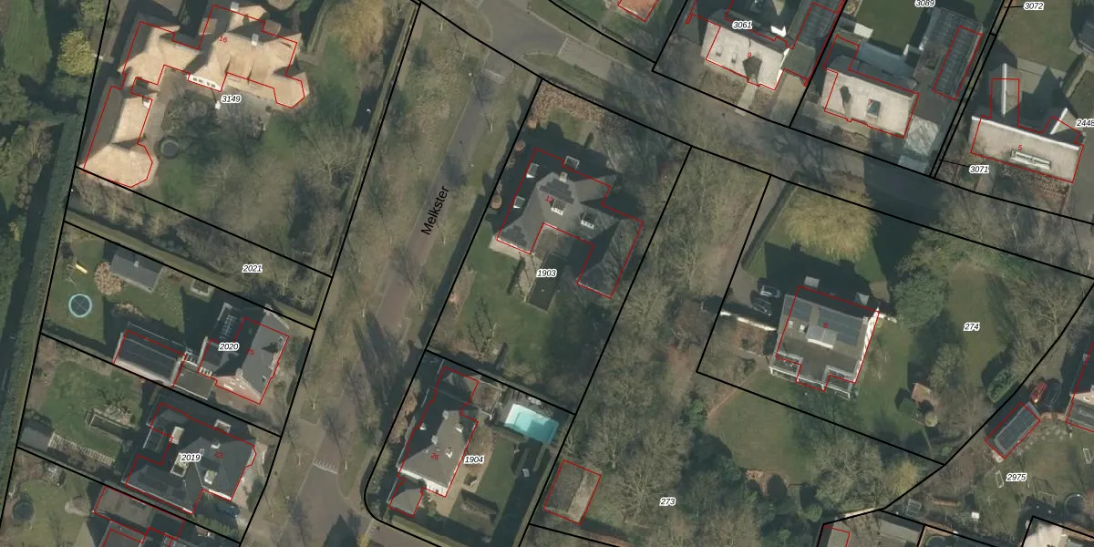
Perceel: GMT00-O-1903
KadastraleKaart.com kan meer dan je denktOntdek meer ›
Filter op bestemming 50+ datasets Eigendomsdata in één klik Percelen CRM
1.602 m2 - 168 m
Eigenaar opvragen
GMT00-O-1903 (Gemert)
- 5421 ZP
fyTk7ESOwnYst SujUxY QQ8x09WEUpgrade naar KadastraleKaart Pro
Verkoopprijs opvragen
Bekijk op Street View
Download DWG/DXF/Excel
gexu651AgQ qjbRYGUpgrade naar KadastraleKaart Pro
DtP QSDCUpgrade naar KadastraleKaart Pro
B0qUCXO1Tee2LQdhvMsUpgrade naar KadastraleKaart Pro
7PRZ ect1Upgrade naar KadastraleKaart Pro
1dWQMi4aN76Upgrade naar KadastraleKaart Pro
r ZS XFRudDdUpgrade naar KadastraleKaart Pro
T0L1D5VWnG4sLv5MJ5CBDUpgrade naar KadastraleKaart Pro
x ukKN8pVaRUxhPK7p0GoQUpgrade naar KadastraleKaart Pro
P2FxppovMp 1ACofz12 Upgrade naar KadastraleKaart Pro
EKQ9OHmEwdC3LbDDDBJUpgrade naar KadastraleKaart Pro
04/05/2009

Percelen
Gebruik de zoekbalk of klik op een perceel om informatie over het perceel te bekijken.